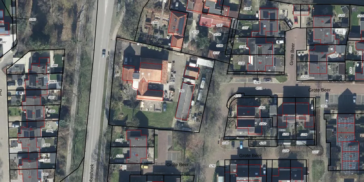
Perceel: GDG00-L-950

Adres bij perceel

Perceeloppervlakte & perceelomtrek

2.358 m2 - 195 m

Eigenaar van het perceel

Eigenaar opvragen

Kadastrale aanduiding

GDG00-L-950 (Gendringen)

Postcode in perceel

    7071 XK

Type eigenaar

tMEnol0T cEiu9PRaNmWsA4uK Upgrade naar KadastraleKaart Pro

Woning verkocht in 2020

Verkoopprijs opvragen

Google Street View

Bekijk op Street View

Download

Download DWG/DXF/Excel

Gerelateerde percelen

g2WZNBY c9Zj0vGv edmHQUpgrade naar KadastraleKaart Pro

Bebouwd/onbebouwd/water/groen

brRj3SgEUpgrade naar KadastraleKaart Pro
Administratieve eenheden
SSsGS5JsUewf48ZQ7DUpgrade naar KadastraleKaart Pro

Appartementsrechten

SoSJfElPqN hJZr9MWaet TUpgrade naar KadastraleKaart Pro

Vergunningverlenende instanties

pmewB1DGM jbUpgrade naar KadastraleKaart Pro

Bedekking (BGT)

O1ASty0ux1 8qTUpgrade naar KadastraleKaart Pro

Publiekrechtelijke beperkingen

IEQXNEzF eHZtUpgrade naar KadastraleKaart Pro

Grensnauwkeurigheid

cyvPowDsAX9KFBWH 5rUpgrade naar KadastraleKaart Pro

Coördinaten hoekpunten perceel

fhS LRpUpgrade naar KadastraleKaart Pro

Hoogteligging

GYLxqtzl0rdGeUpgrade naar KadastraleKaart Pro

Laatst gewijzigd

04/07/2013

Kadastrale kaart met maatvoering 59,95
Kadastrale kaart pakket 28,95

Percelen

Gebruik de zoekbalk of klik op een perceel om informatie over het perceel te bekijken.
Locatie
Meten
Lagen
Download