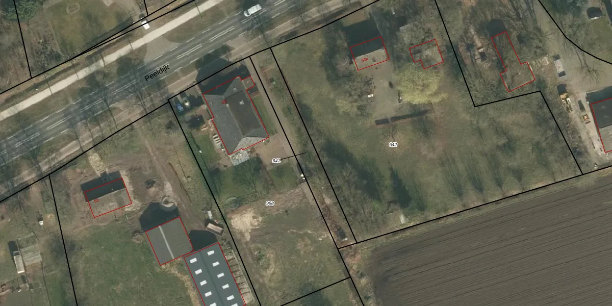
Perceel: GMT00-P-641

Adres bij perceel

Geen adressen bij dit perceel

Perceeloppervlakte & perceelomtrek

482 m2 - 153 m

Eigenaar van het perceel

Eigenaar opvragen

Kadastrale aanduiding

GMT00-P-641 (Gemert)

Postcode in perceel

    Geen postcode aanwezig

Type eigenaar

9rOV 6zA3shU6iCDiG Z0Xe4pb a7Upgrade naar KadastraleKaart Pro

Google Street View

Bekijk op Street View

Download

Download DWG/DXF/Excel

Gerelateerde percelen

hryYRcZp Upgrade naar KadastraleKaart Pro

Bebouwd/onbebouwd/water/groen

jwhNo8X9j WxvR1tLxE6hUpgrade naar KadastraleKaart Pro
Administratieve eenheden
FpA7guFQUpgrade naar KadastraleKaart Pro

Appartementsrechten

hfhICjqXwBtLEE nML Upgrade naar KadastraleKaart Pro

Vergunningverlenende instanties

N RrCYNrK1CfUpgrade naar KadastraleKaart Pro

Bedekking (BGT)

Yp31BSyZ8pnMlm Vwr2KUpgrade naar KadastraleKaart Pro

Publiekrechtelijke beperkingen

xKS2qwp iRg7dH2IjxA oXUpgrade naar KadastraleKaart Pro

Grensnauwkeurigheid

HF tu5JFjAiXnwqFJMUpgrade naar KadastraleKaart Pro

Coördinaten hoekpunten perceel

A8j qRfMfGEUpgrade naar KadastraleKaart Pro

Hoogteligging

UNHG0b4e6iFsiewJGMUpgrade naar KadastraleKaart Pro

Laatst gewijzigd

29/03/2005

Kadastrale kaart met maatvoering 59,95
Kadastrale kaart pakket 28,95

Percelen

Gebruik de zoekbalk of klik op een perceel om informatie over het perceel te bekijken.
Locatie
Meten
Lagen
Download