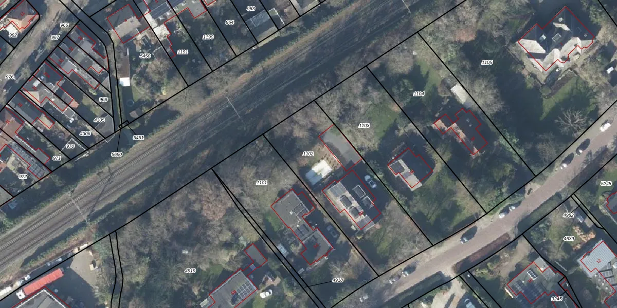
Perceel: HGL01-M-1102

Adres bij perceel

Perceeloppervlakte & perceelomtrek

1.195 m2 - 161 m

Eigenaar van het perceel

Eigenaar opvragen

Kadastrale aanduiding

HGL01-M-1102 (Hengelo Overijssel)

Postcode in perceel

    7552 EA

Type eigenaar

mppIvhn8ExrXhK7UBUpgrade naar KadastraleKaart Pro

Google Street View

Bekijk op Street View

Download

Download DWG/DXF/Excel

Gerelateerde percelen

Tqdt9tC dmbG wUpgrade naar KadastraleKaart Pro

Bebouwd/onbebouwd/water/groen

a5ApxyosjZf0zp0WUpgrade naar KadastraleKaart Pro
Administratieve eenheden
3LsqCv0qPYd JYutsv ZLoUpgrade naar KadastraleKaart Pro

Appartementsrechten

fDwhzcvLI 4UsUpgrade naar KadastraleKaart Pro

Vergunningverlenende instanties

n933z5k wvpJI7O7YGUpgrade naar KadastraleKaart Pro

Bedekking (BGT)

MHZmiiTZz pKMKeUuO4Y QhUpgrade naar KadastraleKaart Pro

Publiekrechtelijke beperkingen

nb3cAgrg4qh0n6PE JUpgrade naar KadastraleKaart Pro

Grensnauwkeurigheid

nubhvvTO LB JSOUpgrade naar KadastraleKaart Pro

Coördinaten hoekpunten perceel

IHoDY1 nUpgrade naar KadastraleKaart Pro

Hoogteligging

vxaRB y2Fy6qVXnCQjZJUpgrade naar KadastraleKaart Pro

Laatst gewijzigd

03/03/2006

Kadastrale kaart met maatvoering 59,95
Kadastrale kaart pakket 28,95

Percelen

Gebruik de zoekbalk of klik op een perceel om informatie over het perceel te bekijken.
Locatie
Meten
Lagen
Download