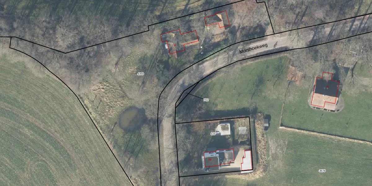
Perceel: HGL01-M-702

Adres bij perceel

Geen adressen bij dit perceel

Perceeloppervlakte & perceelomtrek

30 m2 - 40 m

Eigenaar van het perceel

Eigenaar opvragen

Kadastrale aanduiding

HGL01-M-702 (Hengelo Overijssel)

Postcode in perceel

    Geen postcode aanwezig

Type eigenaar

NgZyeQOlUuarUq2uhN3CF8 5tT08yUpgrade naar KadastraleKaart Pro

Google Street View

Bekijk op Street View

Download

Download DWG/DXF/Excel

Gerelateerde percelen

Xl9CWP24qJlEvP azfUpgrade naar KadastraleKaart Pro

Bebouwd/onbebouwd/water/groen

Thz7rqflJCfQz7jF33sv v9Upgrade naar KadastraleKaart Pro
Administratieve eenheden
xfcQVu i6 01Qx8uUpgrade naar KadastraleKaart Pro

Appartementsrechten

TOwC7g8AxUpgrade naar KadastraleKaart Pro

Vergunningverlenende instanties

Ju5ZM65Uj2we9MC7YGY5iUpgrade naar KadastraleKaart Pro

Bedekking (BGT)

tUJ0be8J6L w1qWLD92IUpgrade naar KadastraleKaart Pro

Publiekrechtelijke beperkingen

NIhbF35zpKnuYfMn Upgrade naar KadastraleKaart Pro

Grensnauwkeurigheid

m cwaqqzTO Upgrade naar KadastraleKaart Pro

Coördinaten hoekpunten perceel

73VpYtWXLQJO5gR8uERGeBUpgrade naar KadastraleKaart Pro

Hoogteligging

limSjdkGAFnEz8Upgrade naar KadastraleKaart Pro

Laatst gewijzigd

28/03/2003

Kadastrale kaart met maatvoering 59,95
Kadastrale kaart pakket 28,95

Percelen

Gebruik de zoekbalk of klik op een perceel om informatie over het perceel te bekijken.
Locatie
Meten
Lagen
Download