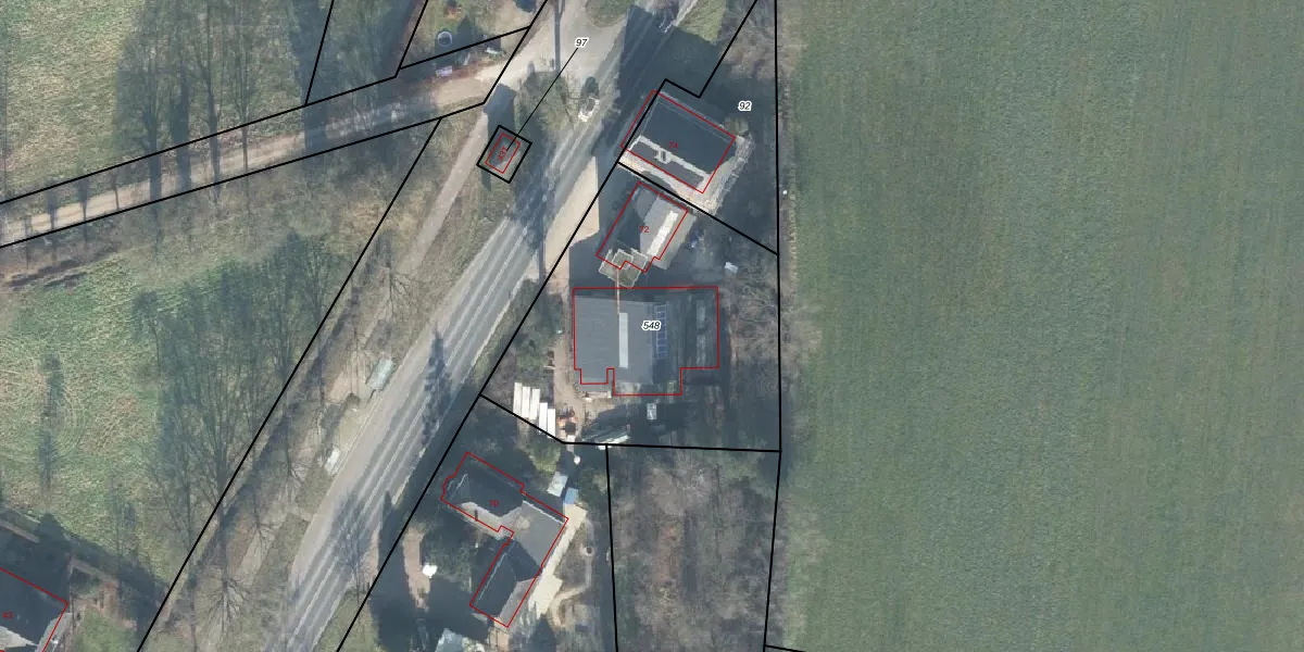
Perceel: HGL02-N-548

Adres bij perceel

Perceeloppervlakte & perceelomtrek

1.400 m2 - 148 m

Eigenaar van het perceel

Eigenaar opvragen

Kadastrale aanduiding

HGL02-N-548 (Hengelo Gelderland)

Postcode in perceel

    7255 LE

Type eigenaar

Qojt U 08i gbg4UNoEsNdUpgrade naar KadastraleKaart Pro

Woning verkocht in 2016

Verkoopprijs opvragen

Google Street View

Bekijk op Street View

Download

Download DWG/DXF/Excel

Gerelateerde percelen

QcBO3K0qmLF4DnUpgrade naar KadastraleKaart Pro

Bebouwd/onbebouwd/water/groen

b2Ufw3rXHsUpgrade naar KadastraleKaart Pro
Administratieve eenheden
vUZA5DWq5J3oDUpgrade naar KadastraleKaart Pro

Appartementsrechten

FskNfwjHTUpgrade naar KadastraleKaart Pro

Vergunningverlenende instanties

Yi9yvGiQLjgpgUpgrade naar KadastraleKaart Pro

Bedekking (BGT)

g VUO vqc 93 dkQigNUpgrade naar KadastraleKaart Pro

Publiekrechtelijke beperkingen

7xMRbbmKUpgrade naar KadastraleKaart Pro

Grensnauwkeurigheid

I3KnJvvSlLRlCLtgLqICGUpgrade naar KadastraleKaart Pro

Coördinaten hoekpunten perceel

GeCURISdM8Upgrade naar KadastraleKaart Pro

Hoogteligging

Zm3BvubFwW f3pFqdZUpgrade naar KadastraleKaart Pro

Laatst gewijzigd

11/04/2016

Kadastrale kaart met maatvoering 59,95
Kadastrale kaart pakket 28,95

Percelen

Gebruik de zoekbalk of klik op een perceel om informatie over het perceel te bekijken.
Locatie
Meten
Lagen
Download