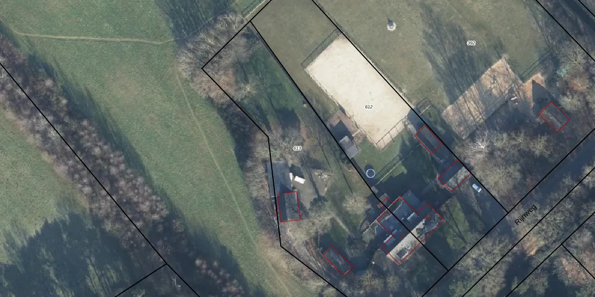
Perceel: HGL02-P-613

Adres bij perceel

Perceeloppervlakte & perceelomtrek

2.877 m2 - 274 m

Eigenaar van het perceel

Eigenaar opvragen

Kadastrale aanduiding

HGL02-P-613 (Hengelo Gelderland)

Postcode in perceel

    7255 NW

Type eigenaar

8pNCyHRTWVh6ij9jqprfFGZkUpgrade naar KadastraleKaart Pro

Woning verkocht in 2002

Verkoopprijs opvragen

Google Street View

Bekijk op Street View

Download

Download DWG/DXF/Excel

Gerelateerde percelen

29aUSSRmpBEl02O66ofUpgrade naar KadastraleKaart Pro

Bebouwd/onbebouwd/water/groen

31pkKp76Zs4suY3k8zWUpgrade naar KadastraleKaart Pro
Administratieve eenheden
JyV G5AItJBuJqO Jc4McVoUpgrade naar KadastraleKaart Pro

Appartementsrechten

McR3L0 dLNmMRv81hrytm0Upgrade naar KadastraleKaart Pro

Vergunningverlenende instanties

8NYaH2dl9KHSvsVA uUpgrade naar KadastraleKaart Pro

Bedekking (BGT)

QhwgKbCMwvTEX74btUpgrade naar KadastraleKaart Pro

Publiekrechtelijke beperkingen

sGzswHufw4vRE OoUpgrade naar KadastraleKaart Pro

Grensnauwkeurigheid

6uWkSphkUpgrade naar KadastraleKaart Pro

Coördinaten hoekpunten perceel

10JRs1QeKgQURvj963AL1Upgrade naar KadastraleKaart Pro

Hoogteligging

9e JS DpNcKH TUpgrade naar KadastraleKaart Pro

Laatst gewijzigd

19/07/2004

Kadastrale kaart met maatvoering 59,95
Kadastrale kaart pakket 28,95

Percelen

Gebruik de zoekbalk of klik op een perceel om informatie over het perceel te bekijken.
Locatie
Meten
Lagen
Download