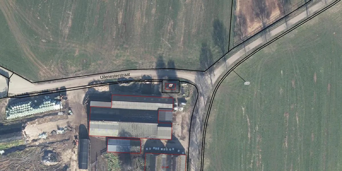
Perceel: HGL02-Q-97

Adres bij perceel

Perceeloppervlakte & perceelomtrek

75 m2 - 35 m

Eigenaar van het perceel

Eigenaar opvragen

Kadastrale aanduiding

HGL02-Q-97 (Hengelo Gelderland)

Postcode in perceel

    Geen postcode aanwezig

Type eigenaar

bLOYP7rWakVqu G7Ls96MFqX02Upgrade naar KadastraleKaart Pro

Google Street View

Bekijk op Street View

Download

Download DWG/DXF/Excel

Gerelateerde percelen

H 3guIK5jkI8 Gp OUpgrade naar KadastraleKaart Pro

Bebouwd/onbebouwd/water/groen

6h33Qf EBclQ7GgUpgrade naar KadastraleKaart Pro
Administratieve eenheden
WevNZaPHezaoWT 5PgJULUpgrade naar KadastraleKaart Pro

Appartementsrechten

bQcGHV2YvBh89c83Upgrade naar KadastraleKaart Pro

Vergunningverlenende instanties

iKLBwL F8TLJkOJJowzYUpgrade naar KadastraleKaart Pro

Bedekking (BGT)

H s5RX1 vL1Upgrade naar KadastraleKaart Pro

Publiekrechtelijke beperkingen

4saby202s tl8z7q2Upgrade naar KadastraleKaart Pro

Grensnauwkeurigheid

J5LxMA350LFSD9cQuUpgrade naar KadastraleKaart Pro

Coördinaten hoekpunten perceel

Fb3LcL U dI83gOSjUpgrade naar KadastraleKaart Pro

Hoogteligging

h94wBSBLiUpgrade naar KadastraleKaart Pro

Laatst gewijzigd

02/12/2002

Kadastrale kaart met maatvoering 59,95
Kadastrale kaart pakket 28,95

Percelen

Gebruik de zoekbalk of klik op een perceel om informatie over het perceel te bekijken.
Locatie
Meten
Lagen
Download