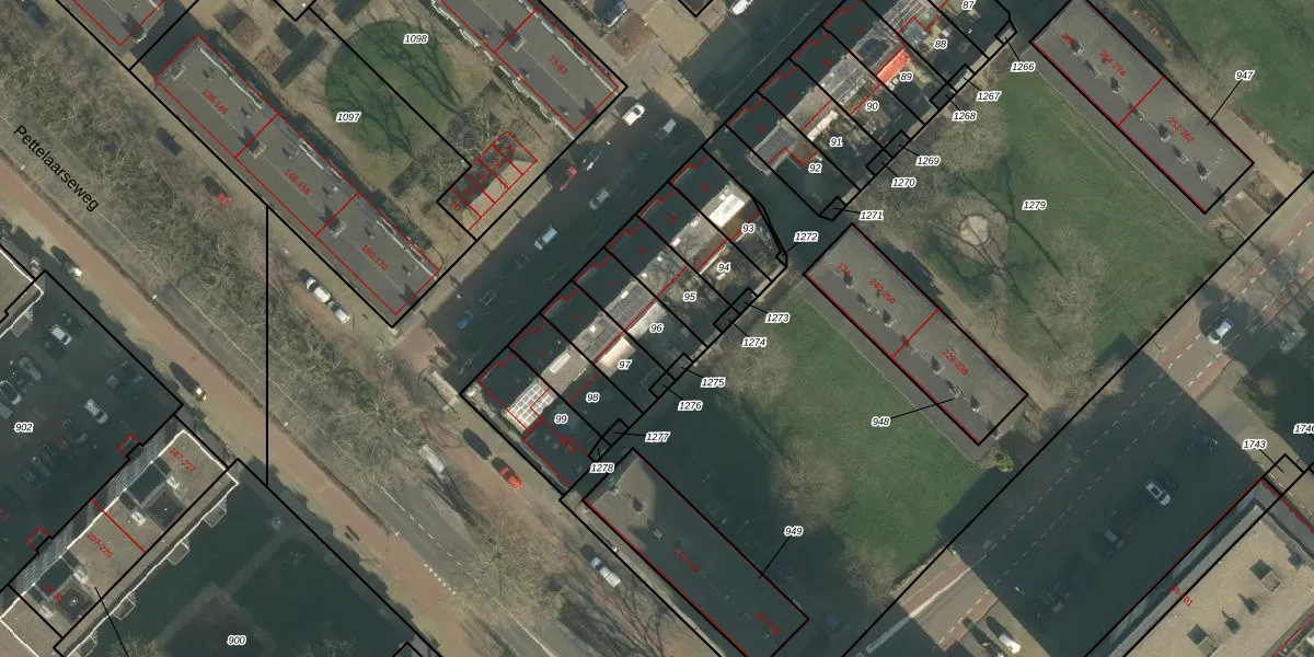
Perceel: HTG00-N-96

Adres bij perceel

Perceeloppervlakte & perceelomtrek

147 m2 - 58 m

Eigenaar van het perceel

Eigenaar opvragen

Kadastrale aanduiding

HTG00-N-96 ('s-Hertogenbosch)

Postcode in perceel

    5216 GZ

Type eigenaar

tTaIoa6 ZoxqmdhKwhTUpgrade naar KadastraleKaart Pro

Google Street View

Bekijk op Street View

Download

Download DWG/DXF/Excel

Gerelateerde percelen

IW8707brUpgrade naar KadastraleKaart Pro

Bebouwd/onbebouwd/water/groen

x5l4BcgapUqwx4ym4sk9ZtiUpgrade naar KadastraleKaart Pro
Administratieve eenheden
4awSxvvC PtjTnUpgrade naar KadastraleKaart Pro

Appartementsrechten

WPRMfB LxPQvZzybZUUpgrade naar KadastraleKaart Pro

Vergunningverlenende instanties

781AjMZsTa33zz79VUpgrade naar KadastraleKaart Pro

Bedekking (BGT)

WqIYCVw q Upgrade naar KadastraleKaart Pro

Publiekrechtelijke beperkingen

oe3LThiJmG8Lc Y6 Upgrade naar KadastraleKaart Pro

Grensnauwkeurigheid

eHqXHlPmUckQwYXezHUpgrade naar KadastraleKaart Pro

Coördinaten hoekpunten perceel

r1 v6IM INJqvyjTHGvoRUpgrade naar KadastraleKaart Pro

Hoogteligging

nd iFAWve DaQo5oAxUpgrade naar KadastraleKaart Pro

Laatst gewijzigd

01/07/2005

Kadastrale kaart met maatvoering 59,95
Kadastrale kaart pakket 28,95

Percelen

Gebruik de zoekbalk of klik op een perceel om informatie over het perceel te bekijken.
Locatie
Meten
Lagen
Download