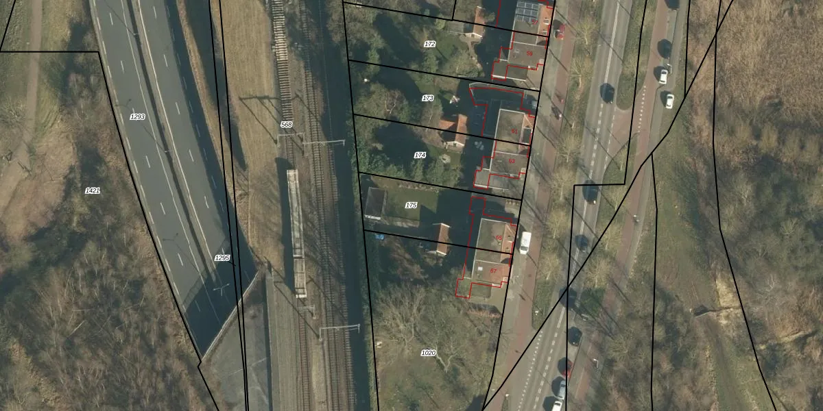
Perceel: HTG00-S-175

Adres bij perceel

Perceeloppervlakte & perceelomtrek

520 m2 - 105 m

Eigenaar van het perceel

Eigenaar opvragen

Kadastrale aanduiding

HTG00-S-175 ('s-Hertogenbosch)

Postcode in perceel

    5211 CK

Type eigenaar

J18ltg5NMRyvrrVz Jt N Upgrade naar KadastraleKaart Pro

Woning verkocht in 2021

Verkoopprijs opvragen

Google Street View

Bekijk op Street View

Download

Download DWG/DXF/Excel

Gerelateerde percelen

JcfiZ6S9DUpgrade naar KadastraleKaart Pro

Bebouwd/onbebouwd/water/groen

pN bZyXRdvP8fGF ofCUpgrade naar KadastraleKaart Pro
Administratieve eenheden
R7C4g94uSdosUpgrade naar KadastraleKaart Pro

Appartementsrechten

zMid0z9ihJG4hz Upgrade naar KadastraleKaart Pro

Vergunningverlenende instanties

FrLaM2UaUpgrade naar KadastraleKaart Pro

Bedekking (BGT)

I3ULbRWVQPZsBTDScZfUUpgrade naar KadastraleKaart Pro

Publiekrechtelijke beperkingen

GJDxlD1i8EQDyq Sfe71JUpgrade naar KadastraleKaart Pro

Grensnauwkeurigheid

7lWKky4D57tUpgrade naar KadastraleKaart Pro

Coördinaten hoekpunten perceel

B mSvAtVPB67 Upgrade naar KadastraleKaart Pro

Hoogteligging

oTh CwEnFcUpgrade naar KadastraleKaart Pro

Laatst gewijzigd

08/07/2011

Kadastrale kaart met maatvoering 59,95
Kadastrale kaart pakket 28,95

Percelen

Gebruik de zoekbalk of klik op een perceel om informatie over het perceel te bekijken.
Locatie
Meten
Lagen
Download