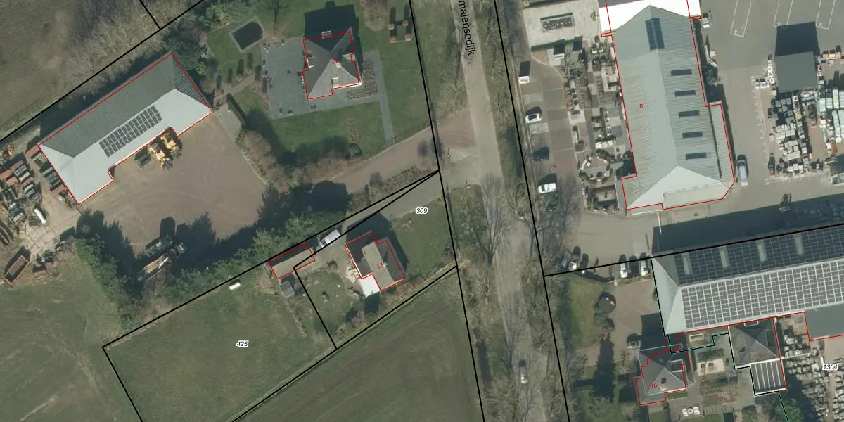
Perceel: HTG00-U-309

Adres bij perceel

Perceeloppervlakte & perceelomtrek

800 m2 - 121 m

Eigenaar van het perceel

Eigenaar opvragen

Kadastrale aanduiding

HTG00-U-309 ('s-Hertogenbosch)

Postcode in perceel

    5236 BD

Type eigenaar

gBHJN5kTnkxJ FW1aA6XCqr94mLUpgrade naar KadastraleKaart Pro

Woning verkocht in 2024

Verkoopprijs opvragen

Google Street View

Bekijk op Street View

Download

Download DWG/DXF/Excel

Gerelateerde percelen

1ZzHYauUt it49oRYeIUpgrade naar KadastraleKaart Pro

Bebouwd/onbebouwd/water/groen

se B9pN PKx1ix79tIUpgrade naar KadastraleKaart Pro
Administratieve eenheden
IRao E2hQgwdfc0Upgrade naar KadastraleKaart Pro

Appartementsrechten

DYMAJ01 Owkcf5UZDUpgrade naar KadastraleKaart Pro

Vergunningverlenende instanties

7oIdMqm6w7Xrlo tV6iUpgrade naar KadastraleKaart Pro

Bedekking (BGT)

CXNH3u2nq4EP746qDUpgrade naar KadastraleKaart Pro

Publiekrechtelijke beperkingen

QaeKk fldtu3 Upgrade naar KadastraleKaart Pro

Grensnauwkeurigheid

smCwBRrX5orj 91aD1fUpgrade naar KadastraleKaart Pro

Coördinaten hoekpunten perceel

NEjBcpg9HUpgrade naar KadastraleKaart Pro

Hoogteligging

tuMKBS f RVUpgrade naar KadastraleKaart Pro

Laatst gewijzigd

05/07/2005

Kadastrale kaart met maatvoering 59,95
Kadastrale kaart pakket 28,95

Percelen

Gebruik de zoekbalk of klik op een perceel om informatie over het perceel te bekijken.
Locatie
Meten
Lagen
Download