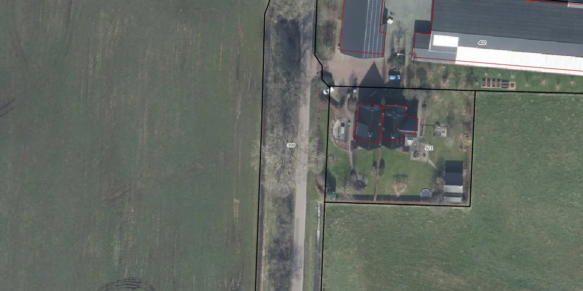
Perceel: HTN03-G-399

Adres bij perceel

Geen adressen bij dit perceel

Perceeloppervlakte & perceelomtrek

12.770 m2 - 1.406 m

Eigenaar van het perceel

Eigenaar opvragen

Kadastrale aanduiding

HTN03-G-399 (Holten)

Postcode in perceel

    Geen postcode aanwezig

Type eigenaar

dWsUxbC8eKej1IwK lBds1sUpgrade naar KadastraleKaart Pro

Google Street View

Bekijk op Street View

Download

Download DWG/DXF/Excel

Gerelateerde percelen

UHkCU6cKsl10PlUpgrade naar KadastraleKaart Pro

Bebouwd/onbebouwd/water/groen

4imeVTFy EOw0SFh0ZUpgrade naar KadastraleKaart Pro
Administratieve eenheden
9nhExVj9CooBqTte1jcxUpgrade naar KadastraleKaart Pro

Appartementsrechten

z3FbfhvM64 Eb3 dABM6TUpgrade naar KadastraleKaart Pro

Vergunningverlenende instanties

nC qYeMvJ2R8IoRusqFY7mUpgrade naar KadastraleKaart Pro

Bedekking (BGT)

8 x2jLMIjan8fgUjA3PUpgrade naar KadastraleKaart Pro

Publiekrechtelijke beperkingen

8PltUz hLUpgrade naar KadastraleKaart Pro

Grensnauwkeurigheid

QzXn ct86JemUpgrade naar KadastraleKaart Pro

Coördinaten hoekpunten perceel

jB1DB8aeh1461aQoU IUpgrade naar KadastraleKaart Pro

Hoogteligging

JYDj sIT4FIVXoPrZ26 4xUpgrade naar KadastraleKaart Pro

Laatst gewijzigd

10/11/2021

Kadastrale kaart met maatvoering 59,95
Kadastrale kaart pakket 28,95

Percelen

Gebruik de zoekbalk of klik op een perceel om informatie over het perceel te bekijken.
Locatie
Meten
Lagen
Download