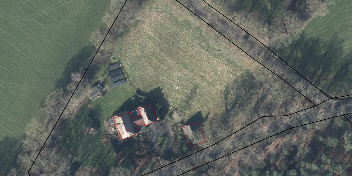
Perceel: HTN03-I-96

Adres bij perceel

Perceeloppervlakte & perceelomtrek

10.050 m2 - 445 m

Eigenaar van het perceel

Eigenaar opvragen

Kadastrale aanduiding

HTN03-I-96 (Holten)

Postcode in perceel

    7451 PE

Type eigenaar

pqXy6 XD5jkt JbYU86DtwrUpgrade naar KadastraleKaart Pro

Google Street View

Bekijk op Street View

Download

Download DWG/DXF/Excel

Gerelateerde percelen

CWa24bToBKLrU61 Upgrade naar KadastraleKaart Pro

Bebouwd/onbebouwd/water/groen

lUnZq2pApwhRUpgrade naar KadastraleKaart Pro
Administratieve eenheden
CCkNiA2B1VwwnhM 1oO37kUpgrade naar KadastraleKaart Pro

Appartementsrechten

5ll iVOlUpgrade naar KadastraleKaart Pro

Vergunningverlenende instanties

oWB3H5kPnjz OUpgrade naar KadastraleKaart Pro

Bedekking (BGT)

v4 THP4zPFU K 4ZUpgrade naar KadastraleKaart Pro

Publiekrechtelijke beperkingen

j6u WklGWIUpgrade naar KadastraleKaart Pro

Grensnauwkeurigheid

nHAy1rCMux0QsL1JyMSHUpgrade naar KadastraleKaart Pro

Coördinaten hoekpunten perceel

Sl1E ohMUpgrade naar KadastraleKaart Pro

Hoogteligging

LNrDn75wBndktn7c9CQ uUpgrade naar KadastraleKaart Pro

Laatst gewijzigd

09/11/2001

Kadastrale kaart met maatvoering 59,95
Kadastrale kaart pakket 28,95

Percelen

Gebruik de zoekbalk of klik op een perceel om informatie over het perceel te bekijken.
Locatie
Meten
Lagen
Download