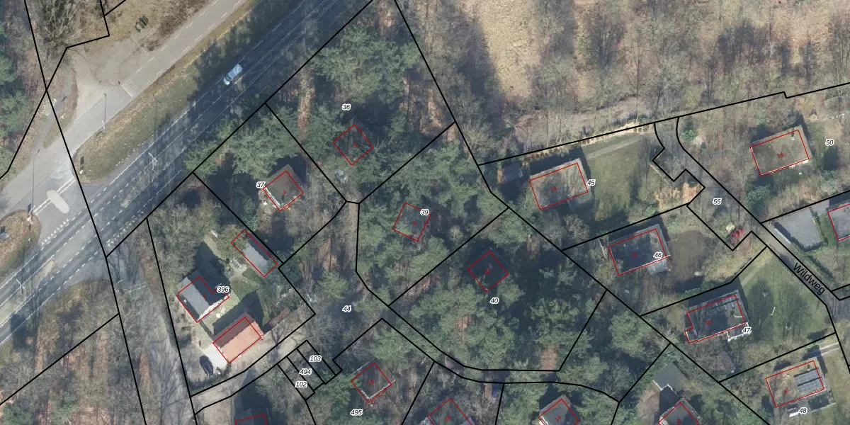
Perceel: HTN03-K-39

Adres bij perceel

Perceeloppervlakte & perceelomtrek

820 m2 - 118 m

Eigenaar van het perceel

Eigenaar opvragen

Kadastrale aanduiding

HTN03-K-39 (Holten)

Postcode in perceel

    7451 RL

Type eigenaar

T8HrVIPLFpD3aLBWdRQssYp1uFUpgrade naar KadastraleKaart Pro

Google Street View

Bekijk op Street View

Download

Download DWG/DXF/Excel

Gerelateerde percelen

mWYHofti7nSQ4iOgVr T3Upgrade naar KadastraleKaart Pro

Bebouwd/onbebouwd/water/groen

x6Mw YP K25LE7Upgrade naar KadastraleKaart Pro
Administratieve eenheden
duBnBH klX3RAf08Upgrade naar KadastraleKaart Pro

Appartementsrechten

fOuoCnJDHWoZcocGxt15dUpgrade naar KadastraleKaart Pro

Vergunningverlenende instanties

1Log dt7y0EfRn hZNeUpgrade naar KadastraleKaart Pro

Bedekking (BGT)

2reWKWNQ Wpu2Y63Upgrade naar KadastraleKaart Pro

Publiekrechtelijke beperkingen

hvTQ3Nvx3NOIOikWZUA0Upgrade naar KadastraleKaart Pro

Grensnauwkeurigheid

sYEfCdLBwq6DzLC6Upgrade naar KadastraleKaart Pro

Coördinaten hoekpunten perceel

US7spwBn8aUpgrade naar KadastraleKaart Pro

Hoogteligging

dvl1NIjHqQMgsesT8Upgrade naar KadastraleKaart Pro

Laatst gewijzigd

26/03/2013

Kadastrale kaart met maatvoering 59,95
Kadastrale kaart pakket 28,95

Percelen

Gebruik de zoekbalk of klik op een perceel om informatie over het perceel te bekijken.
Locatie
Meten
Lagen
Download