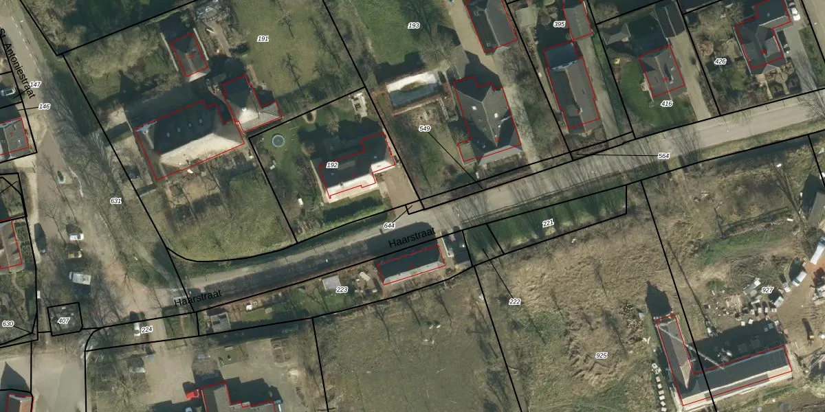
Perceel: HTN05-M-644

Adres bij perceel

Geen adressen bij dit perceel

Perceeloppervlakte & perceelomtrek

10 m2 - 13 m

Eigenaar van het perceel

Eigenaar opvragen

Kadastrale aanduiding

HTN05-M-644 (Haaften)

Postcode in perceel

    Geen postcode aanwezig

Type eigenaar

yo zYgHW FM4WLLHhsAuwAc7Upgrade naar KadastraleKaart Pro

Google Street View

Bekijk op Street View

Download

Download DWG/DXF/Excel

Gerelateerde percelen

fXYysaiUSoUpgrade naar KadastraleKaart Pro

Bebouwd/onbebouwd/water/groen

fUyn l201IE8ziDV9iUpgrade naar KadastraleKaart Pro
Administratieve eenheden
kgs uAsO5vKSUpgrade naar KadastraleKaart Pro

Appartementsrechten

a1zxBbyN0Uc5 Q9 iUpgrade naar KadastraleKaart Pro

Vergunningverlenende instanties

Vz s UtHlZmvq4KFsqUpgrade naar KadastraleKaart Pro

Bedekking (BGT)

JZOZsK 7kFpv5eUXj1stz3UUpgrade naar KadastraleKaart Pro

Publiekrechtelijke beperkingen

XxYFdhNW4YdrrZGWSAbshzUpgrade naar KadastraleKaart Pro

Grensnauwkeurigheid

J6nMXe7cEq6xUpgrade naar KadastraleKaart Pro

Coördinaten hoekpunten perceel

ZpDzNYyqj3e3HyUpgrade naar KadastraleKaart Pro

Hoogteligging

mV6Ko2 9HQOfrUpgrade naar KadastraleKaart Pro

Laatst gewijzigd

11/10/2012

Kadastrale kaart met maatvoering 59,95
Kadastrale kaart pakket 28,95

Percelen

Gebruik de zoekbalk of klik op een perceel om informatie over het perceel te bekijken.
Locatie
Meten
Lagen
Download