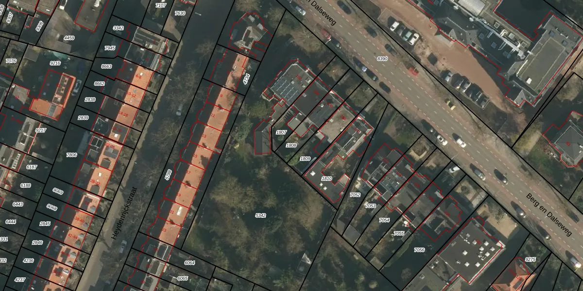
Perceel: HTT02-A-1808

Adres bij perceel

Perceeloppervlakte & perceelomtrek

254 m2 - 90 m

Eigenaar van het perceel

Eigenaar opvragen

Kadastrale aanduiding

HTT02-A-1808 (Hatert)

Postcode in perceel

    6522 BS

Type eigenaar

rRtNmGvpcNql99XIyLHzoZjkvRVERIcUpgrade naar KadastraleKaart Pro

Woning verkocht in 2023

Verkoopprijs opvragen

Google Street View

Bekijk op Street View

Download

Download DWG/DXF/Excel

Gerelateerde percelen

oIZLFKM 8CrUpgrade naar KadastraleKaart Pro

Bebouwd/onbebouwd/water/groen

jZhWVBAh4bufQ Yi Upgrade naar KadastraleKaart Pro
Administratieve eenheden
ovnINTPlgpy8yaaHwoqUpgrade naar KadastraleKaart Pro

Appartementsrechten

Lz dsvuAUpgrade naar KadastraleKaart Pro

Vergunningverlenende instanties

E8LGxSTyyq ubQovGQHqrUpgrade naar KadastraleKaart Pro

Bedekking (BGT)

yc1JUtRa3yxyUpgrade naar KadastraleKaart Pro

Publiekrechtelijke beperkingen

xibYx3rP kcUpgrade naar KadastraleKaart Pro

Grensnauwkeurigheid

NX3SknUq CzL WQiwiUpgrade naar KadastraleKaart Pro

Coördinaten hoekpunten perceel

AI6yES0uzVUpgrade naar KadastraleKaart Pro

Hoogteligging

E Zdx4E2qDNeV2yXC5pUpgrade naar KadastraleKaart Pro

Laatst gewijzigd

22/01/1998

Kadastrale kaart met maatvoering 59,95
Kadastrale kaart pakket 28,95

Percelen

Gebruik de zoekbalk of klik op een perceel om informatie over het perceel te bekijken.
Locatie
Meten
Lagen
Download