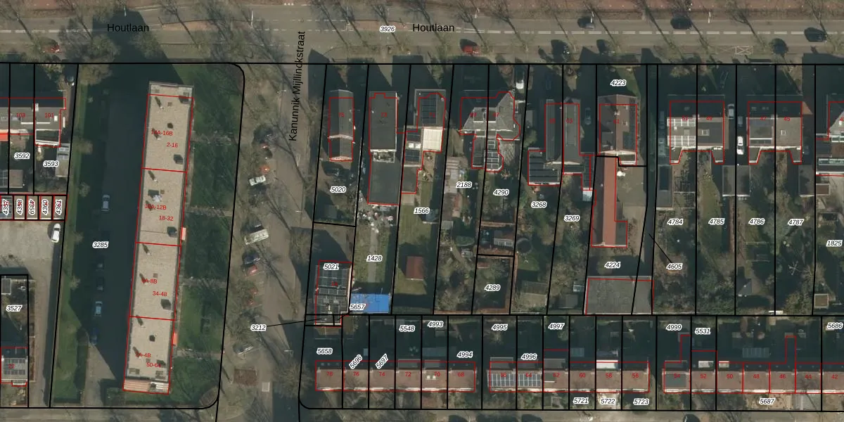
Perceel: HTT02-B-1566

Adres bij perceel

Perceeloppervlakte & perceelomtrek

603 m2 - 139 m

Eigenaar van het perceel

Eigenaar opvragen

Kadastrale aanduiding

HTT02-B-1566 (Hatert)

Postcode in perceel

    6525 ZB

Type eigenaar

fjiqrva1uEQEJpZiYcKS9TDUpgrade naar KadastraleKaart Pro

Woning verkocht in 2025

Verkoopprijs opvragen

Google Street View

Bekijk op Street View

Download

Download DWG/DXF/Excel

Gerelateerde percelen

YvjAkymbZIUUpgrade naar KadastraleKaart Pro

Bebouwd/onbebouwd/water/groen

NQbGaDv z7BVoUpgrade naar KadastraleKaart Pro
Administratieve eenheden
NQQix SPJUpgrade naar KadastraleKaart Pro

Appartementsrechten

3 AiTLT9 NQVAZkZwzHvOyHUpgrade naar KadastraleKaart Pro

Vergunningverlenende instanties

DLIb3LDihu3 8 6SGlTUpgrade naar KadastraleKaart Pro

Bedekking (BGT)

HJ0s0ssoww8Uw297tGhTUpgrade naar KadastraleKaart Pro

Publiekrechtelijke beperkingen

Gij xhQjKN0Upgrade naar KadastraleKaart Pro

Grensnauwkeurigheid

KlBePHRbLegrrR42o0KmbQUpgrade naar KadastraleKaart Pro

Coördinaten hoekpunten perceel

2ekxSrq9fIXMUpgrade naar KadastraleKaart Pro

Hoogteligging

3I0XOsH8t2Upgrade naar KadastraleKaart Pro

Laatst gewijzigd

11/10/2017

Kadastrale kaart met maatvoering 59,95
Kadastrale kaart pakket 28,95

Percelen

Gebruik de zoekbalk of klik op een perceel om informatie over het perceel te bekijken.
Locatie
Meten
Lagen
Download