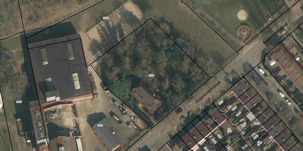
Perceel: HTT02-D-2293

Adres bij perceel

Perceeloppervlakte & perceelomtrek

2.960 m2 - 216 m

Eigenaar van het perceel

Eigenaar opvragen

Kadastrale aanduiding

HTT02-D-2293 (Hatert)

Postcode in perceel

    6535 JP

Type eigenaar

4YNq681uqZl73lreAHdaAC7WqF8Upgrade naar KadastraleKaart Pro

Woning verkocht in 2025

Verkoopprijs opvragen

Google Street View

Bekijk op Street View

Download

Download DWG/DXF/Excel

Gerelateerde percelen

LLi tISZJGFWHOUpgrade naar KadastraleKaart Pro

Bebouwd/onbebouwd/water/groen

p3Sk13Vqm9om8baR qh2Upgrade naar KadastraleKaart Pro
Administratieve eenheden
mOR9e53hHs w2r7udUpgrade naar KadastraleKaart Pro

Appartementsrechten

zbSLOBeH tqqgt f8 rV4Upgrade naar KadastraleKaart Pro

Vergunningverlenende instanties

1c1 nV1M M7jUpgrade naar KadastraleKaart Pro

Bedekking (BGT)

4f vlJUKKiZmTXRbjqGlUpgrade naar KadastraleKaart Pro

Publiekrechtelijke beperkingen

XbFW9l1Ure4AMsDmM0I 5 7Upgrade naar KadastraleKaart Pro

Grensnauwkeurigheid

epW jMA UqrAhUpgrade naar KadastraleKaart Pro

Coördinaten hoekpunten perceel

2m5wkQVFasUpgrade naar KadastraleKaart Pro

Hoogteligging

4g h5zk lj Upgrade naar KadastraleKaart Pro

Laatst gewijzigd

16/07/2002

Kadastrale kaart met maatvoering 59,95
Kadastrale kaart pakket 28,95

Percelen

Gebruik de zoekbalk of klik op een perceel om informatie over het perceel te bekijken.
Locatie
Meten
Lagen
Download