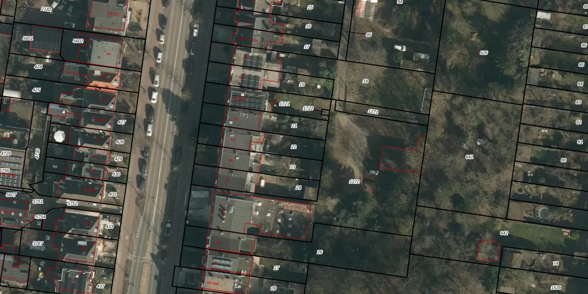
Perceel: HTT02-G-22

Adres bij perceel

Perceeloppervlakte & perceelomtrek

301 m2 - 100 m

Eigenaar van het perceel

Eigenaar opvragen

Kadastrale aanduiding

HTT02-G-22 (Hatert)

Postcode in perceel

    6524 EJ

Type eigenaar

G 7uqxalA LNXaDyrwrVJcuQUpgrade naar KadastraleKaart Pro

Woning verkocht in 2024

Verkoopprijs opvragen

Google Street View

Bekijk op Street View

Download

Download DWG/DXF/Excel

Gerelateerde percelen

11lSbGlPDzx4NUpgrade naar KadastraleKaart Pro

Bebouwd/onbebouwd/water/groen

pg4HHqrQWgzUpgrade naar KadastraleKaart Pro
Administratieve eenheden
0cSlXqjn ZqUpgrade naar KadastraleKaart Pro

Appartementsrechten

AuLj 6s1bUpgrade naar KadastraleKaart Pro

Vergunningverlenende instanties

J 2U21tuUpgrade naar KadastraleKaart Pro

Bedekking (BGT)

Ff Jn5IVI0 Qv2FMcVvUpgrade naar KadastraleKaart Pro

Publiekrechtelijke beperkingen

auWktNp Y Yzn wbGhHUpgrade naar KadastraleKaart Pro

Grensnauwkeurigheid

miJirohQjBEN8HNYUpgrade naar KadastraleKaart Pro

Coördinaten hoekpunten perceel

4zOyGq08oVsjnUpgrade naar KadastraleKaart Pro

Hoogteligging

85S97wK9xRLrfUpgrade naar KadastraleKaart Pro

Laatst gewijzigd

17/07/2002

Kadastrale kaart met maatvoering 59,95
Kadastrale kaart pakket 28,95

Percelen

Gebruik de zoekbalk of klik op een perceel om informatie over het perceel te bekijken.
Locatie
Meten
Lagen
Download