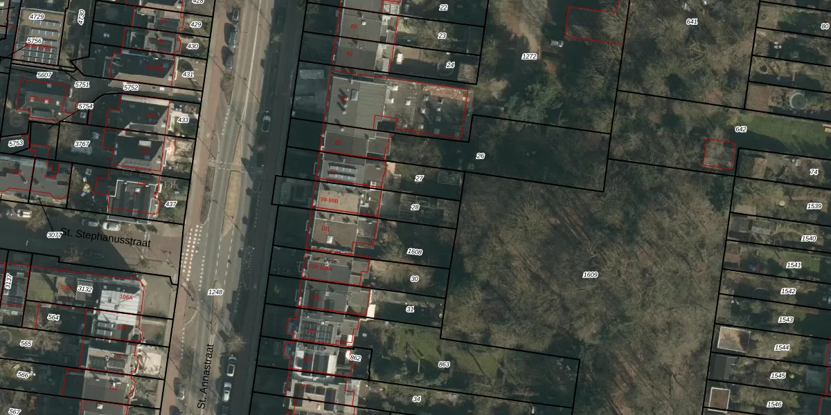
Perceel: HTT02-G-28

3 adressen bij perceel

St. Annastraat 99 t/m 99 B

Perceeloppervlakte & perceelomtrek

315 m2 - 104 m

Eigenaar van het perceel

Eigenaar opvragen

Kadastrale aanduiding

HTT02-G-28 (Hatert)

Postcode in perceel

    6524 EK

Type eigenaar

j qZml5m 6f JwwuClniGnUpgrade naar KadastraleKaart Pro

Woning verkocht in 2021

Verkoopprijs opvragen

Google Street View

Bekijk op Street View

Download

Download DWG/DXF/Excel

Gerelateerde percelen

d HQAid0eW5mjSxJ5Upgrade naar KadastraleKaart Pro

Bebouwd/onbebouwd/water/groen

GlB7XOMVtDBLKtBMcHUpgrade naar KadastraleKaart Pro
Administratieve eenheden
LPOx h dUpgrade naar KadastraleKaart Pro

Appartementsrechten

MTa1qmUfVKK7QfUpgrade naar KadastraleKaart Pro

Vergunningverlenende instanties

iMwUxA92Jf9eceSslUpgrade naar KadastraleKaart Pro

Bedekking (BGT)

MnHBXBy4Upgrade naar KadastraleKaart Pro

Publiekrechtelijke beperkingen

Lu2N15mmkzUpgrade naar KadastraleKaart Pro

Grensnauwkeurigheid

B037O SSJtKFHMS1Upgrade naar KadastraleKaart Pro

Coördinaten hoekpunten perceel

5FQGM ARFhPa2Yl6H4hQghUpgrade naar KadastraleKaart Pro

Hoogteligging

ioJS5gZnMOcvyUpgrade naar KadastraleKaart Pro

Laatst gewijzigd

17/07/2002

Kadastrale kaart met maatvoering 59,95
Kadastrale kaart pakket 28,95

Percelen

Gebruik de zoekbalk of klik op een perceel om informatie over het perceel te bekijken.
Locatie
Meten
Lagen
Download