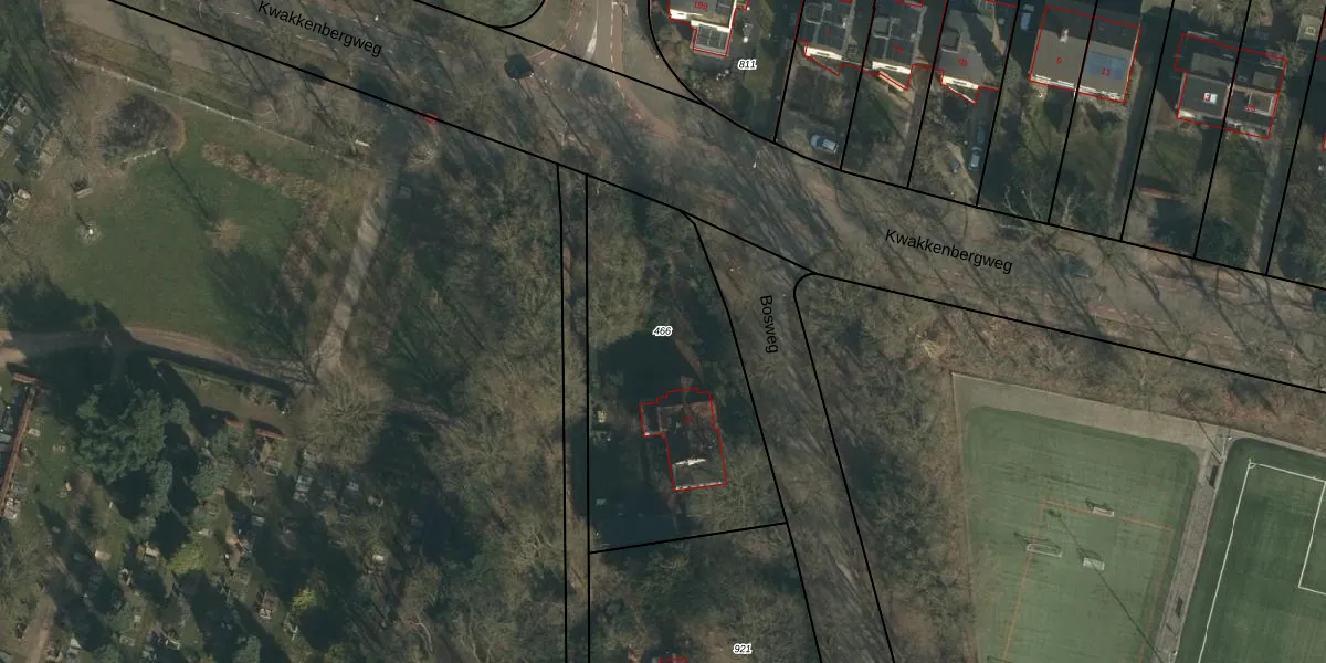
Perceel: HTT02-I-466

Adres bij perceel

Perceeloppervlakte & perceelomtrek

1.200 m2 - 153 m

Eigenaar van het perceel

Eigenaar opvragen

Kadastrale aanduiding

HTT02-I-466 (Hatert)

Postcode in perceel

    6523 NM

Type eigenaar

D3bauH4fz1IBw9E3nu4YtHubXZBUpgrade naar KadastraleKaart Pro

Google Street View

Bekijk op Street View

Download

Download DWG/DXF/Excel

Gerelateerde percelen

xydpGh8lSpy1wgU3hZpQqUpgrade naar KadastraleKaart Pro

Bebouwd/onbebouwd/water/groen

lZyDG5s4KXyEgUpgrade naar KadastraleKaart Pro
Administratieve eenheden
DNlZwtqLUPc 4EhJc9ncUpgrade naar KadastraleKaart Pro

Appartementsrechten

RPRLiJx WHudH7SEQUpgrade naar KadastraleKaart Pro

Vergunningverlenende instanties

fsO6 BR185CAYG M591Upgrade naar KadastraleKaart Pro

Bedekking (BGT)

nY9z sLc8zQ38aXUpgrade naar KadastraleKaart Pro

Publiekrechtelijke beperkingen

BXuronuMUpgrade naar KadastraleKaart Pro

Grensnauwkeurigheid

MQxcuL8z yL50sKoVAjUpgrade naar KadastraleKaart Pro

Coördinaten hoekpunten perceel

ZqbOUj5yNA 1ImqezUpgrade naar KadastraleKaart Pro

Hoogteligging

BT JC56eUpgrade naar KadastraleKaart Pro

Laatst gewijzigd

15/04/2009

Kadastrale kaart met maatvoering 59,95
Kadastrale kaart pakket 28,95

Percelen

Gebruik de zoekbalk of klik op een perceel om informatie over het perceel te bekijken.
Locatie
Meten
Lagen
Download