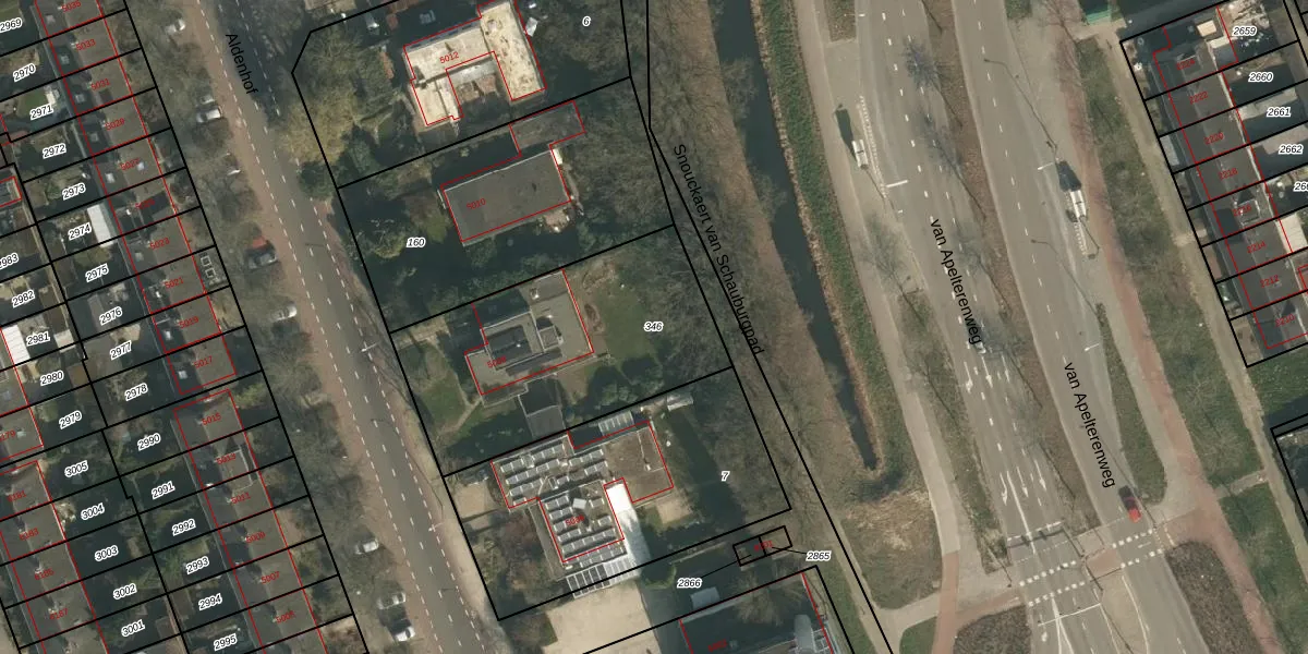
Perceel: HTT02-N-346

Adres bij perceel

Perceeloppervlakte & perceelomtrek

1.108 m2 - 141 m

Eigenaar van het perceel

Eigenaar opvragen

Kadastrale aanduiding

HTT02-N-346 (Hatert)

Postcode in perceel

    6537 EC

Type eigenaar

vYEx xHibc aUsBvl5GmfUpgrade naar KadastraleKaart Pro

Woning verkocht in 2006

Verkoopprijs opvragen

Google Street View

Bekijk op Street View

Download

Download DWG/DXF/Excel

Gerelateerde percelen

NEghQ8JuoIUpgrade naar KadastraleKaart Pro

Bebouwd/onbebouwd/water/groen

H0nrgXm SfLs Va6QwVUpgrade naar KadastraleKaart Pro
Administratieve eenheden
IG5BVmV6VeUpgrade naar KadastraleKaart Pro

Appartementsrechten

4PRkhpdhoPspUpgrade naar KadastraleKaart Pro

Vergunningverlenende instanties

g9Jf0QB HndeZBI kP3fXUpgrade naar KadastraleKaart Pro

Bedekking (BGT)

9qceTqJAOdoQsIYKxzwjuDWUpgrade naar KadastraleKaart Pro

Publiekrechtelijke beperkingen

w2lvSPTq xsCW0FzjUpgrade naar KadastraleKaart Pro

Grensnauwkeurigheid

8TzFHO KY wWbr2zjp0WgUpgrade naar KadastraleKaart Pro

Coördinaten hoekpunten perceel

8P7q8VxVVg6Upgrade naar KadastraleKaart Pro

Hoogteligging

4PTtfIkyUpgrade naar KadastraleKaart Pro

Laatst gewijzigd

28/01/2003

Kadastrale kaart met maatvoering 59,95
Kadastrale kaart pakket 28,95

Percelen

Gebruik de zoekbalk of klik op een perceel om informatie over het perceel te bekijken.
Locatie
Meten
Lagen
Download