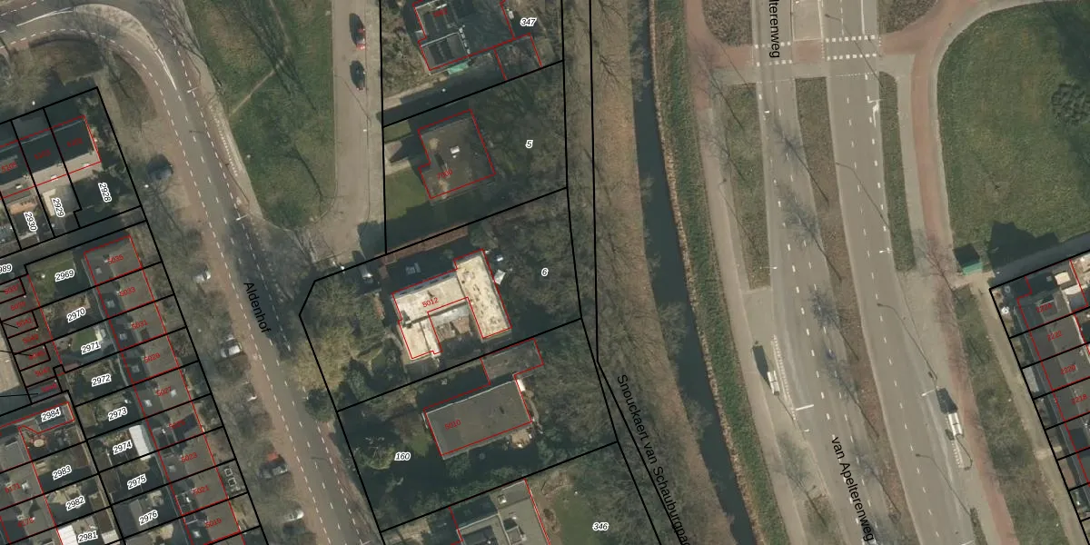
Perceel: HTT02-N-6

Adres bij perceel

Perceeloppervlakte & perceelomtrek

1.205 m2 - 148 m

Eigenaar van het perceel

Eigenaar opvragen

Kadastrale aanduiding

HTT02-N-6 (Hatert)

Postcode in perceel

    6537 EC

Type eigenaar

0 78AvQ68 s3sfrw vB pLTUpgrade naar KadastraleKaart Pro

Woning verkocht in 2020

Verkoopprijs opvragen

Google Street View

Bekijk op Street View

Download

Download DWG/DXF/Excel

Gerelateerde percelen

8a1qSFyFN dlA4TlgsuRPUpgrade naar KadastraleKaart Pro

Bebouwd/onbebouwd/water/groen

DzwLbojMUk5RUpgrade naar KadastraleKaart Pro
Administratieve eenheden
txRdsoh41F0Tw7vcUpgrade naar KadastraleKaart Pro

Appartementsrechten

H906prhVUpgrade naar KadastraleKaart Pro

Vergunningverlenende instanties

HPAzaYiTGJuKfukCsDLZUpgrade naar KadastraleKaart Pro

Bedekking (BGT)

0EBdWdYK tF4 OgTUpgrade naar KadastraleKaart Pro

Publiekrechtelijke beperkingen

VgmK57LcpQG cg Upgrade naar KadastraleKaart Pro

Grensnauwkeurigheid

AlHhL0fWx JTUpgrade naar KadastraleKaart Pro

Coördinaten hoekpunten perceel

IeXa xDaHBK3wGo1toTUpgrade naar KadastraleKaart Pro

Hoogteligging

JG 2E QlvpZqMZ6evmAUpgrade naar KadastraleKaart Pro

Laatst gewijzigd

28/01/2003

Kadastrale kaart met maatvoering 59,95
Kadastrale kaart pakket 28,95

Percelen

Gebruik de zoekbalk of klik op een perceel om informatie over het perceel te bekijken.
Locatie
Meten
Lagen
Download