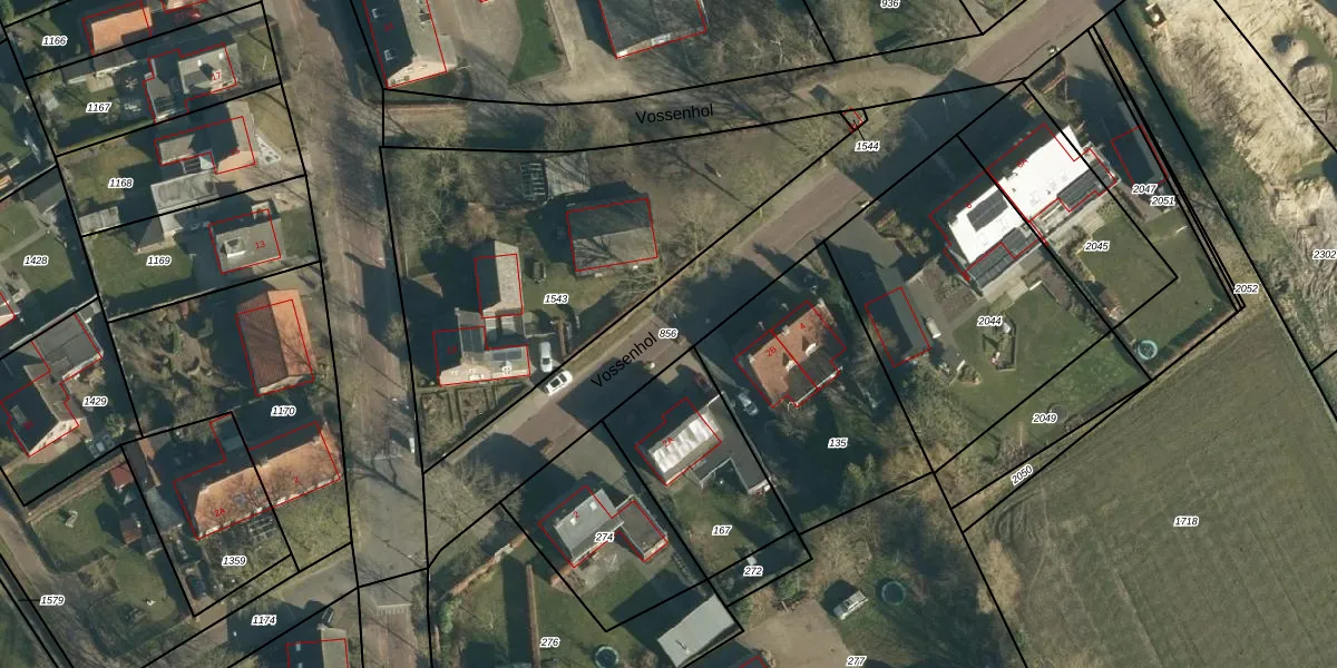
Perceel: HVR00-B-856

Adres bij perceel

Geen adressen bij dit perceel

Perceeloppervlakte & perceelomtrek

980 m2 - 242 m

Eigenaar van het perceel

Eigenaar opvragen

Kadastrale aanduiding

HVR00-B-856 (Hilvarenbeek)

Postcode in perceel

    Geen postcode aanwezig

Type eigenaar

ir8U ZAqTP5 vGYEfUpgrade naar KadastraleKaart Pro

Google Street View

Bekijk op Street View

Download

Download DWG/DXF/Excel

Gerelateerde percelen

qVSoa4dmFLzxUpgrade naar KadastraleKaart Pro

Bebouwd/onbebouwd/water/groen

RhalMP 9v4CNUpgrade naar KadastraleKaart Pro
Administratieve eenheden
7BDOx7CUeUpgrade naar KadastraleKaart Pro

Appartementsrechten

hJUi 3LEFPm9nUpgrade naar KadastraleKaart Pro

Vergunningverlenende instanties

0z jOhH PcO6Mkvh3NUpgrade naar KadastraleKaart Pro

Bedekking (BGT)

JbvKPHHRxB NaBUpgrade naar KadastraleKaart Pro

Publiekrechtelijke beperkingen

zIqiAI 2Mc1ALDzlUpgrade naar KadastraleKaart Pro

Grensnauwkeurigheid

xxJ B4 AdKUpgrade naar KadastraleKaart Pro

Coördinaten hoekpunten perceel

Gcv4 nBxBWt45 4Hp Upgrade naar KadastraleKaart Pro

Hoogteligging

8WvfInA V LYsk0Vphmrvc Upgrade naar KadastraleKaart Pro

Laatst gewijzigd

20/06/2018

Kadastrale kaart met maatvoering 59,95
Kadastrale kaart pakket 28,95

Percelen

Gebruik de zoekbalk of klik op een perceel om informatie over het perceel te bekijken.
Locatie
Meten
Lagen
Download