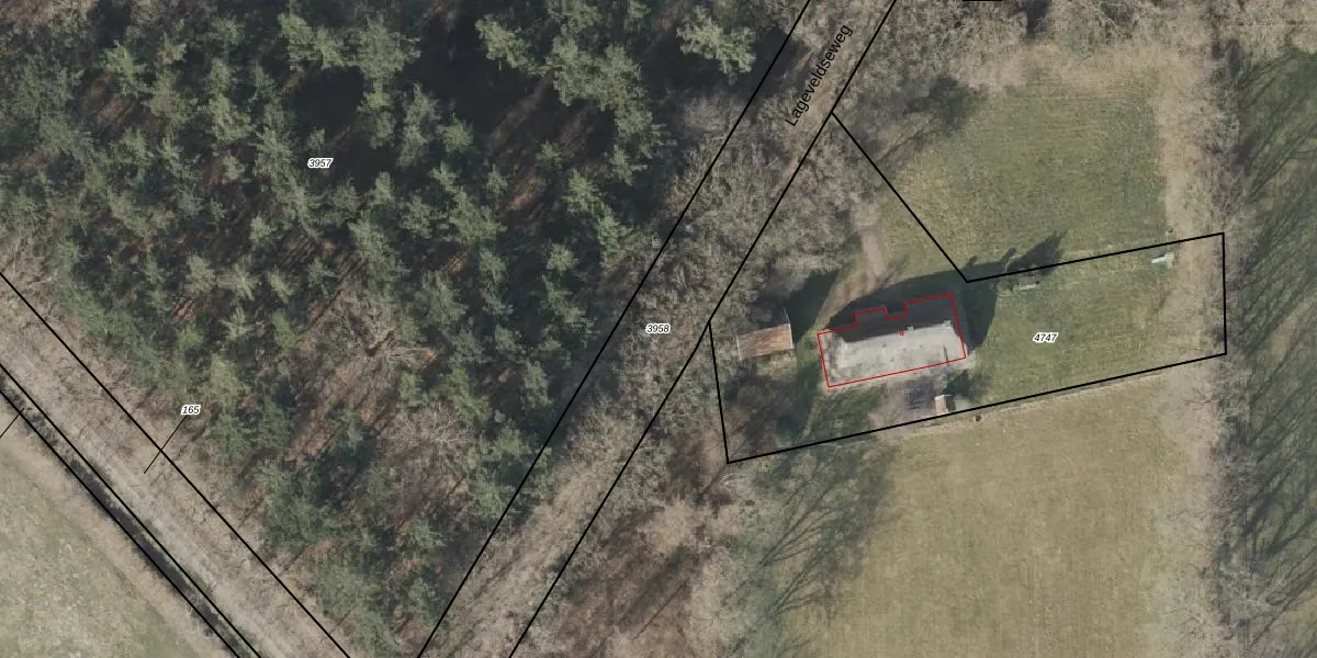
Perceel: HVT03-H-3958

Adres bij perceel

Geen adressen bij dit perceel

Perceeloppervlakte & perceelomtrek

1.741 m2 - 318 m

Eigenaar van het perceel

Eigenaar opvragen

Kadastrale aanduiding

HVT03-H-3958 (Havelte)

Postcode in perceel

    Geen postcode aanwezig

Type eigenaar

BpceXWzy9kYrOJDXe0hQvytizJUpgrade naar KadastraleKaart Pro

Google Street View

Bekijk op Street View

Download

Download DWG/DXF/Excel

Gerelateerde percelen

WGrXgz Vn4xPfRFLA7Upgrade naar KadastraleKaart Pro

Bebouwd/onbebouwd/water/groen

kZtY9LK7Upgrade naar KadastraleKaart Pro
Administratieve eenheden
fFTyawm8wNq JpfYCUpgrade naar KadastraleKaart Pro

Appartementsrechten

vbkn0RX Upgrade naar KadastraleKaart Pro

Vergunningverlenende instanties

EY9Jt9c7nCSJOgkdUpgrade naar KadastraleKaart Pro

Bedekking (BGT)

hayYLL8aWfHGA0JsrUpgrade naar KadastraleKaart Pro

Publiekrechtelijke beperkingen

Sz VUSeTM0 RrkzUpgrade naar KadastraleKaart Pro

Grensnauwkeurigheid

dTlG98wDJBmeUpgrade naar KadastraleKaart Pro

Coördinaten hoekpunten perceel

O5WhoU MVbAkTUpgrade naar KadastraleKaart Pro

Hoogteligging

qigpXI3eW UNEUpgrade naar KadastraleKaart Pro

Laatst gewijzigd

09/07/2003

Kadastrale kaart met maatvoering 59,95
Kadastrale kaart pakket 28,95

Percelen

Gebruik de zoekbalk of klik op een perceel om informatie over het perceel te bekijken.
Locatie
Meten
Lagen
Download