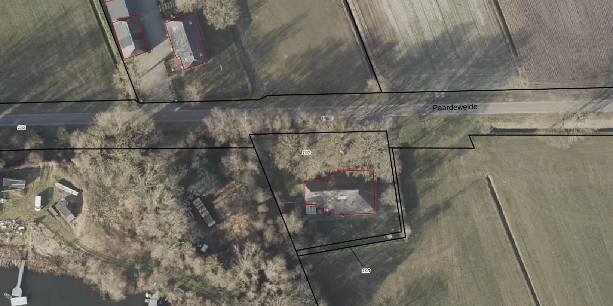
Perceel: HVT03-R-102

Adres bij perceel

Perceeloppervlakte & perceelomtrek

1.443 m2 - 154 m

Eigenaar van het perceel

Eigenaar opvragen

Kadastrale aanduiding

HVT03-R-102 (Havelte)

Postcode in perceel

    7973 KS

Type eigenaar

m YjdFAoUlT jnDMmz JUsFNmUpgrade naar KadastraleKaart Pro

Woning verkocht in 2020

Verkoopprijs opvragen

Google Street View

Bekijk op Street View

Download

Download DWG/DXF/Excel

Gerelateerde percelen

SA 66Ahn0MUpgrade naar KadastraleKaart Pro

Bebouwd/onbebouwd/water/groen

Oaec7EeoeIVnHslhljBasUpgrade naar KadastraleKaart Pro
Administratieve eenheden
dG0hrlz5 fv PH5SCUpgrade naar KadastraleKaart Pro

Appartementsrechten

yz SyOMjYXDUpgrade naar KadastraleKaart Pro

Vergunningverlenende instanties

VQeH3JBIxWUpgrade naar KadastraleKaart Pro

Bedekking (BGT)

PP9I z gyt9XV6p1Upgrade naar KadastraleKaart Pro

Publiekrechtelijke beperkingen

u GxtUo7Upgrade naar KadastraleKaart Pro

Grensnauwkeurigheid

VuDdQ0mJv9u5 5DY1VUpgrade naar KadastraleKaart Pro

Coördinaten hoekpunten perceel

P9CaVnhnsgFHuHEUpgrade naar KadastraleKaart Pro

Hoogteligging

lsSAaHPKlUF sYjIGUpgrade naar KadastraleKaart Pro

Laatst gewijzigd

28/11/1997

Kadastrale kaart met maatvoering 59,95
Kadastrale kaart pakket 28,95

Percelen

Gebruik de zoekbalk of klik op een perceel om informatie over het perceel te bekijken.
Locatie
Meten
Lagen
Download