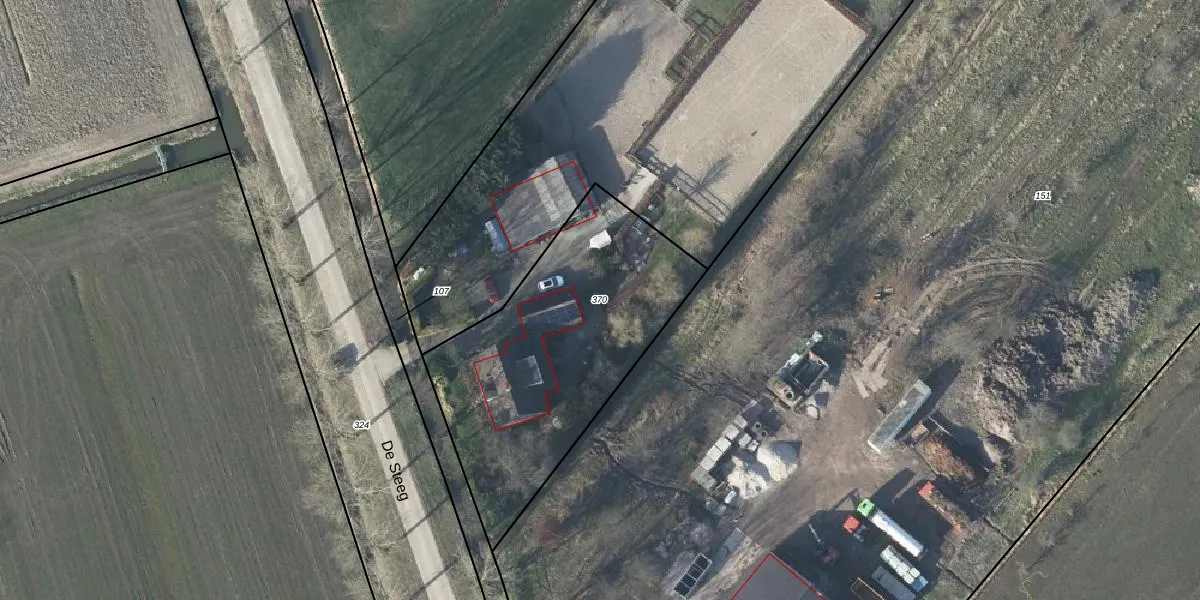
Perceel: IGN00-F-370

Adres bij perceel

Perceeloppervlakte & perceelomtrek

1.325 m2 - 159 m

Eigenaar van het perceel

Eigenaar opvragen

Kadastrale aanduiding

IGN00-F-370 (Ingen)

Postcode in perceel

    4031 JN

Type eigenaar

4s Io GyLYuyK8ecZoeoo3ygzTmRdxUpgrade naar KadastraleKaart Pro

Woning verkocht in 2016

Verkoopprijs opvragen

Google Street View

Bekijk op Street View

Download

Download DWG/DXF/Excel

Gerelateerde percelen

5ez2XrEnUpgrade naar KadastraleKaart Pro

Bebouwd/onbebouwd/water/groen

Mpbby6 afUpgrade naar KadastraleKaart Pro
Administratieve eenheden
UAk81xBxC9z3x5Fs9Upgrade naar KadastraleKaart Pro

Appartementsrechten

O QJ vgZnjYEnyfyP70iUpgrade naar KadastraleKaart Pro

Vergunningverlenende instanties

ZDDc1tJr LBdGUpgrade naar KadastraleKaart Pro

Bedekking (BGT)

AIOJ eMkaKAhucL7AyUpgrade naar KadastraleKaart Pro

Publiekrechtelijke beperkingen

VkKjLdMl7QN HJ7Upgrade naar KadastraleKaart Pro

Grensnauwkeurigheid

JIJmOi2 HQbnNDoUpgrade naar KadastraleKaart Pro

Coördinaten hoekpunten perceel

z9bKFCCfUIIg GF7 JQd8cUpgrade naar KadastraleKaart Pro

Hoogteligging

7PhtJojTPojWX6Hfr dLUpgrade naar KadastraleKaart Pro

Laatst gewijzigd

08/03/2001

Kadastrale kaart met maatvoering 59,95
Kadastrale kaart pakket 28,95

Percelen

Gebruik de zoekbalk of klik op een perceel om informatie over het perceel te bekijken.
Locatie
Meten
Lagen
Download