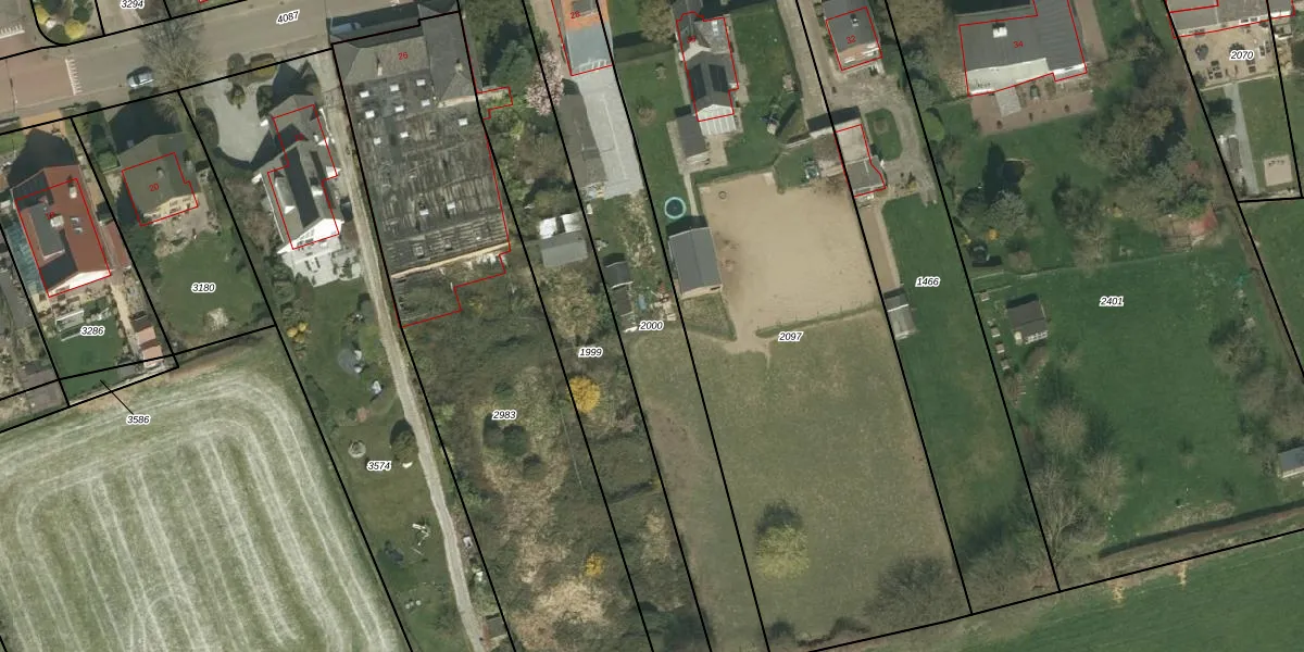
Perceel: KMN02-C-2000

Adres bij perceel

Perceeloppervlakte & perceelomtrek

1.130 m2 - 243 m

Eigenaar van het perceel

Eigenaar opvragen

Kadastrale aanduiding

KMN02-C-2000 (Klimmen)

Postcode in perceel

    6343 CM

Type eigenaar

O6A8BMpk Ku M4CsUpgrade naar KadastraleKaart Pro

Woning verkocht in 2020

Verkoopprijs opvragen

Google Street View

Bekijk op Street View

Download

Download DWG/DXF/Excel

Gerelateerde percelen

CpFNWIo9YZBW AI gwLUpgrade naar KadastraleKaart Pro

Bebouwd/onbebouwd/water/groen

0cA7j x8 Upgrade naar KadastraleKaart Pro
Administratieve eenheden
KuWI5Yc jjCKsIPUpgrade naar KadastraleKaart Pro

Appartementsrechten

3DuCSdCNUBkDty60b0 BgUpgrade naar KadastraleKaart Pro

Vergunningverlenende instanties

p9M1 fXU jJLYVMc7Upgrade naar KadastraleKaart Pro

Bedekking (BGT)

Sr3PBOJpAwaSajQiHFrUpgrade naar KadastraleKaart Pro

Publiekrechtelijke beperkingen

iCKMSyUn1nUUpgrade naar KadastraleKaart Pro

Grensnauwkeurigheid

AH9TRPFcIZUn dFXU 1B6Upgrade naar KadastraleKaart Pro

Coördinaten hoekpunten perceel

u12imKdyOe6Upgrade naar KadastraleKaart Pro

Hoogteligging

f7 Qa BPICuuUpgrade naar KadastraleKaart Pro

Laatst gewijzigd

15/09/2011

Kadastrale kaart met maatvoering 59,95
Kadastrale kaart pakket 28,95

Percelen

Gebruik de zoekbalk of klik op een perceel om informatie over het perceel te bekijken.
Locatie
Meten
Lagen
Download