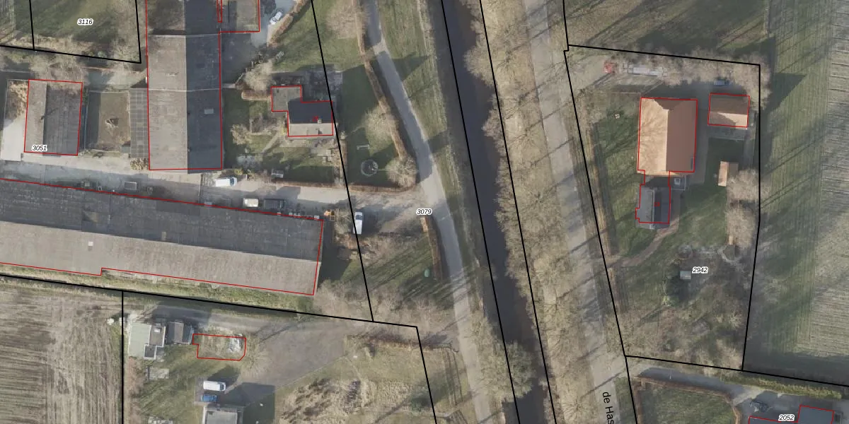
Perceel: LEE01-F-3079

Adres bij perceel

Geen adressen bij dit perceel

Perceeloppervlakte & perceelomtrek

9.015 m2 - 866 m

Eigenaar van het perceel

Eigenaar opvragen

Kadastrale aanduiding

LEE01-F-3079 (Leek)

Postcode in perceel

    Geen postcode aanwezig

Type eigenaar

DLarzjVskbAbMvEQZd16Upgrade naar KadastraleKaart Pro

Google Street View

Bekijk op Street View

Download

Download DWG/DXF/Excel

Gerelateerde percelen

mo3mxceb8SBUpgrade naar KadastraleKaart Pro

Bebouwd/onbebouwd/water/groen

LX m2 UBJUNPNZK 1Upgrade naar KadastraleKaart Pro
Administratieve eenheden
y oMdlM aoZ0ZbdwTUpgrade naar KadastraleKaart Pro

Appartementsrechten

X 89BhRSYwFwH5 22 Xg Upgrade naar KadastraleKaart Pro

Vergunningverlenende instanties

M0rN4y 8g OzUt7 jUioaX9Upgrade naar KadastraleKaart Pro

Bedekking (BGT)

lg96eYW7k2kg93ieJMm3WUjUpgrade naar KadastraleKaart Pro

Publiekrechtelijke beperkingen

pKnKZ28O1XFinnUpgrade naar KadastraleKaart Pro

Grensnauwkeurigheid

mLl2AsjtTmfqVUpgrade naar KadastraleKaart Pro

Coördinaten hoekpunten perceel

1JH GB4OvsuUpgrade naar KadastraleKaart Pro

Hoogteligging

Jo NSIngKOEUpgrade naar KadastraleKaart Pro

Laatst gewijzigd

10/03/2011

Kadastrale kaart met maatvoering 59,95
Kadastrale kaart pakket 28,95

Percelen

Gebruik de zoekbalk of klik op een perceel om informatie over het perceel te bekijken.
Locatie
Meten
Lagen
Download