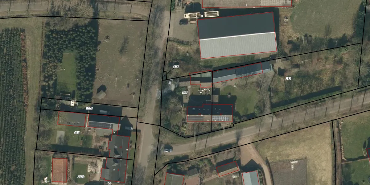
Perceel: LHT00-K-183

Adres bij perceel

Perceeloppervlakte & perceelomtrek

840 m2 - 115 m

Eigenaar van het perceel

Eigenaar opvragen

Kadastrale aanduiding

LHT00-K-183 (Lieshout)

Postcode in perceel

    5738 CB

Type eigenaar

7U8 iFZRkGfaUV DYLoNnieWgUpgrade naar KadastraleKaart Pro

Google Street View

Bekijk op Street View

Download

Download DWG/DXF/Excel

Gerelateerde percelen

2olf1 s g2R2Upgrade naar KadastraleKaart Pro

Bebouwd/onbebouwd/water/groen

uGAaqgvzHtbMUpgrade naar KadastraleKaart Pro
Administratieve eenheden
1uFrRxZgt7Upgrade naar KadastraleKaart Pro

Appartementsrechten

3TEgnPGorBQTUpgrade naar KadastraleKaart Pro

Vergunningverlenende instanties

ff TrCaqd2zLGVofEEOWUpgrade naar KadastraleKaart Pro

Bedekking (BGT)

s8ppnhQguGgO7j1oODfxuKUpgrade naar KadastraleKaart Pro

Publiekrechtelijke beperkingen

q3jDMEyx W0v8EgruEUpgrade naar KadastraleKaart Pro

Grensnauwkeurigheid

A8tEsejwrrjKZL kfrieHoUpgrade naar KadastraleKaart Pro

Coördinaten hoekpunten perceel

LdOXhBZ itLFB0FsFC6j8Upgrade naar KadastraleKaart Pro

Hoogteligging

qXk4T00ho51Jy 0Upgrade naar KadastraleKaart Pro

Laatst gewijzigd

22/02/2010

Kadastrale kaart met maatvoering 59,95
Kadastrale kaart pakket 28,95

Percelen

Gebruik de zoekbalk of klik op een perceel om informatie over het perceel te bekijken.
Locatie
Meten
Lagen
Download