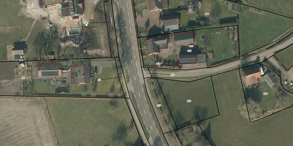
Perceel: LHT00-K-515

Adres bij perceel

Geen adressen bij dit perceel

Perceeloppervlakte & perceelomtrek

35 m2 - 26 m

Eigenaar van het perceel

Eigenaar opvragen

Kadastrale aanduiding

LHT00-K-515 (Lieshout)

Postcode in perceel

    Geen postcode aanwezig

Type eigenaar

k5IIVO2prjBzg6locriWw3jbOSUpgrade naar KadastraleKaart Pro

Google Street View

Bekijk op Street View

Download

Download DWG/DXF/Excel

Gerelateerde percelen

6ws1NmRG a 4OCUpgrade naar KadastraleKaart Pro

Bebouwd/onbebouwd/water/groen

6 b Eiz R zUpgrade naar KadastraleKaart Pro
Administratieve eenheden
B YvZ3 TUpgrade naar KadastraleKaart Pro

Appartementsrechten

haL0FowqRbI VGUpgrade naar KadastraleKaart Pro

Vergunningverlenende instanties

bpSe9NfhwRWWh gFiTfsfT Upgrade naar KadastraleKaart Pro

Bedekking (BGT)

MsGjW yHJpWUpgrade naar KadastraleKaart Pro

Publiekrechtelijke beperkingen

Hcyys 9m Upgrade naar KadastraleKaart Pro

Grensnauwkeurigheid

23wVTGkskyu3A751dw90rWUpgrade naar KadastraleKaart Pro

Coördinaten hoekpunten perceel

Hkn3UM PHc9gUpgrade naar KadastraleKaart Pro

Hoogteligging

cxVdyfBUpgrade naar KadastraleKaart Pro

Laatst gewijzigd

20/10/2009

Kadastrale kaart met maatvoering 59,95
Kadastrale kaart pakket 28,95

Percelen

Gebruik de zoekbalk of klik op een perceel om informatie over het perceel te bekijken.
Locatie
Meten
Lagen
Download