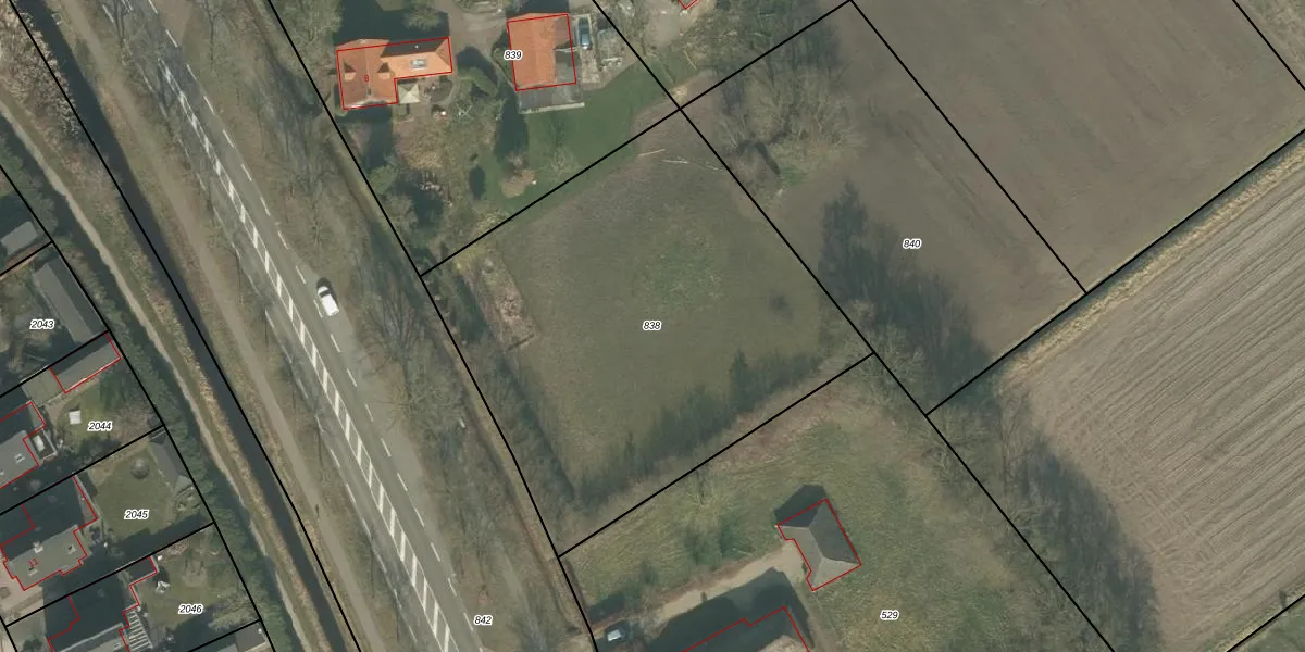
Perceel: LHT00-K-838

Adres bij perceel

Geen adressen bij dit perceel

Perceeloppervlakte & perceelomtrek

2.490 m2 - 201 m

Eigenaar van het perceel

Eigenaar opvragen

Kadastrale aanduiding

LHT00-K-838 (Lieshout)

Postcode in perceel

    Geen postcode aanwezig

Type eigenaar

m900I8U 5ZH XP0SxnPOu4Upgrade naar KadastraleKaart Pro

Google Street View

Bekijk op Street View

Download

Download DWG/DXF/Excel

Gerelateerde percelen

GJ4D6vPX INCNGYGDGxUpgrade naar KadastraleKaart Pro

Bebouwd/onbebouwd/water/groen

HYb5 ugCNWbyQ5 pPUpgrade naar KadastraleKaart Pro
Administratieve eenheden
GOCF AdcGUpgrade naar KadastraleKaart Pro

Appartementsrechten

M iz6D2zSh P5IhaUpgrade naar KadastraleKaart Pro

Vergunningverlenende instanties

ec42OK 62k MUpgrade naar KadastraleKaart Pro

Bedekking (BGT)

9QlH5MrUxa RHQqUpgrade naar KadastraleKaart Pro

Publiekrechtelijke beperkingen

5W7nRap6tAx6LRLUpgrade naar KadastraleKaart Pro

Grensnauwkeurigheid

pQTVT wUtj7V0JUpgrade naar KadastraleKaart Pro

Coördinaten hoekpunten perceel

sQLeQnfRUDjOWDO XTaOUpgrade naar KadastraleKaart Pro

Hoogteligging

f25XikpAM1NK7gYJB0N5PJUpgrade naar KadastraleKaart Pro

Laatst gewijzigd

16/10/2009

Kadastrale kaart met maatvoering 59,95
Kadastrale kaart pakket 28,95

Percelen

Gebruik de zoekbalk of klik op een perceel om informatie over het perceel te bekijken.
Locatie
Meten
Lagen
Download