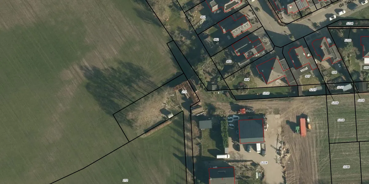
Perceel: LHT00-L-271

Adres bij perceel

Geen adressen bij dit perceel

Perceeloppervlakte & perceelomtrek

1.000 m2 - 228 m

Eigenaar van het perceel

Eigenaar opvragen

Kadastrale aanduiding

LHT00-L-271 (Lieshout)

Postcode in perceel

    Geen postcode aanwezig

Type eigenaar

UxUA0w2xIGZLQ4 YCLtpGsxUpgrade naar KadastraleKaart Pro

Google Street View

Bekijk op Street View

Download

Download DWG/DXF/Excel

Gerelateerde percelen

vOj0wwXpk0 BEGUpgrade naar KadastraleKaart Pro

Bebouwd/onbebouwd/water/groen

ufc8hz QjroIMOeAcaPUpgrade naar KadastraleKaart Pro
Administratieve eenheden
XFBSSXwD13G fd RiUpgrade naar KadastraleKaart Pro

Appartementsrechten

xkrYdqlRmCjLso5Wm0ZUpgrade naar KadastraleKaart Pro

Vergunningverlenende instanties

mWIIkay5GaEgw1OpCDzsSfUpgrade naar KadastraleKaart Pro

Bedekking (BGT)

Pp 3YuoSEGjDvgpUpgrade naar KadastraleKaart Pro

Publiekrechtelijke beperkingen

PM h XKhMxVeiGbhIhUpgrade naar KadastraleKaart Pro

Grensnauwkeurigheid

oy4fN m uHZrwzcNzklUpgrade naar KadastraleKaart Pro

Coördinaten hoekpunten perceel

B8sSlZ aKoQ7V1NUpgrade naar KadastraleKaart Pro

Hoogteligging

DrAGYRsicR plGkCRUpgrade naar KadastraleKaart Pro

Laatst gewijzigd

21/10/2009

Kadastrale kaart met maatvoering 59,95
Kadastrale kaart pakket 28,95

Percelen

Gebruik de zoekbalk of klik op een perceel om informatie over het perceel te bekijken.
Locatie
Meten
Lagen
Download