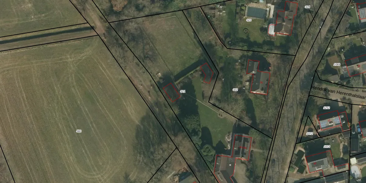
Perceel: LHT00-L-321

2 adressen bij perceel

Vogelenzang 28 t/m 28 a

Perceeloppervlakte & perceelomtrek

3.550 m2 - 326 m

Eigenaar van het perceel

Eigenaar opvragen

Kadastrale aanduiding

LHT00-L-321 (Lieshout)

Postcode in perceel

    5737 PT

Type eigenaar

wC404B5iIKfXfL5tiSUzRLb2ZUpgrade naar KadastraleKaart Pro

Google Street View

Bekijk op Street View

Download

Download DWG/DXF/Excel

Gerelateerde percelen

uQak1mqdwPZ VvT1eHUpgrade naar KadastraleKaart Pro

Bebouwd/onbebouwd/water/groen

eBPYFcO1 jUpgrade naar KadastraleKaart Pro
Administratieve eenheden
wzx1bEDjfauUpgrade naar KadastraleKaart Pro

Appartementsrechten

S0BP7sCBI yCGo O Upgrade naar KadastraleKaart Pro

Vergunningverlenende instanties

G3RlUhrpUpgrade naar KadastraleKaart Pro

Bedekking (BGT)

BesOeoQFbSq7khUjDGEnEbdUpgrade naar KadastraleKaart Pro

Publiekrechtelijke beperkingen

To 9iVY2jpKeAyWcl3Upgrade naar KadastraleKaart Pro

Grensnauwkeurigheid

GKIh KTeZOuUpgrade naar KadastraleKaart Pro

Coördinaten hoekpunten perceel

IHupXl1J5MR2Upgrade naar KadastraleKaart Pro

Hoogteligging

TD9O wJ6NXyFTY1REUpgrade naar KadastraleKaart Pro

Laatst gewijzigd

21/10/2009

Kadastrale kaart met maatvoering 59,95
Kadastrale kaart pakket 28,95

Percelen

Gebruik de zoekbalk of klik op een perceel om informatie over het perceel te bekijken.
Locatie
Meten
Lagen
Download