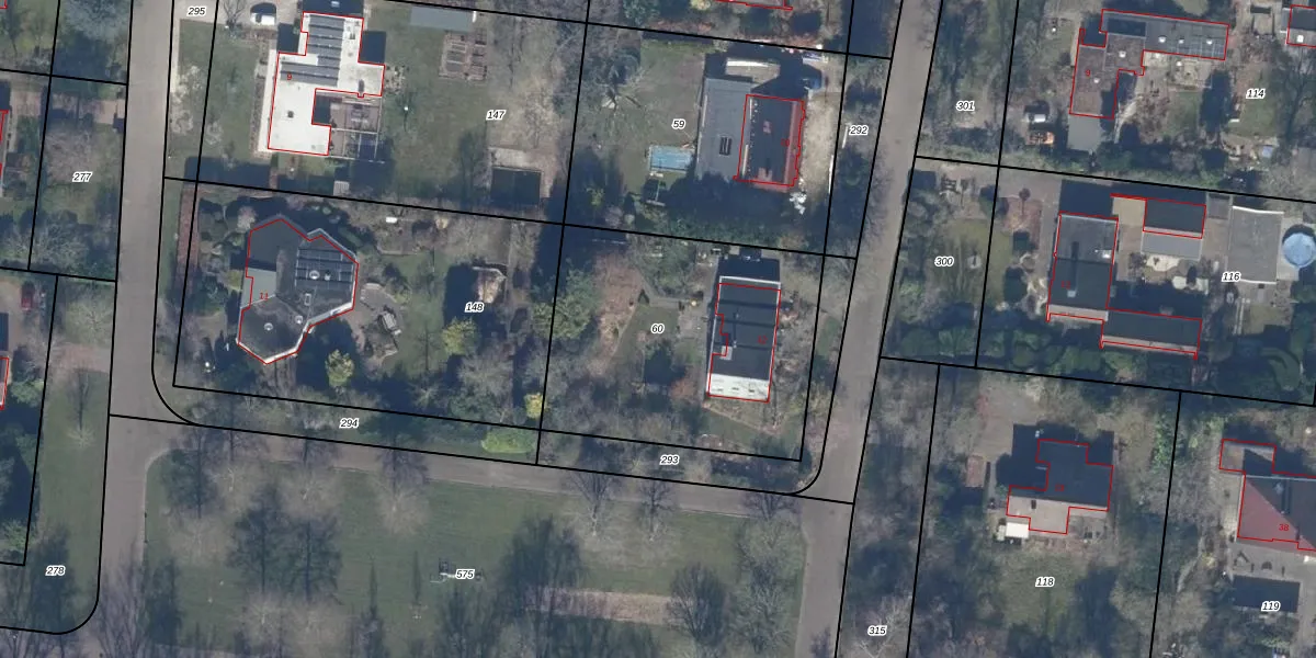
Perceel: LLS00-F-60

Adres bij perceel

Perceeloppervlakte & perceelomtrek

1.240 m2 - 143 m

Eigenaar van het perceel

Eigenaar opvragen

Kadastrale aanduiding

LLS00-F-60 (Lelystad)

Postcode in perceel

    8222 AA

Type eigenaar

pk PLuklg NNC2Z1cH Es1pI Upgrade naar KadastraleKaart Pro

Woning verkocht in 1997

Verkoopprijs opvragen

Google Street View

Bekijk op Street View

Download

Download DWG/DXF/Excel

Gerelateerde percelen

iW F1JzhRtM E FUpgrade naar KadastraleKaart Pro

Bebouwd/onbebouwd/water/groen

P0o5 Y 6vNGMiMTCVMrDXaUpgrade naar KadastraleKaart Pro
Administratieve eenheden
m73upSDZ4Upgrade naar KadastraleKaart Pro

Appartementsrechten

ZX5Ls4T XoEKu0smW2Afc 8Upgrade naar KadastraleKaart Pro

Vergunningverlenende instanties

X BJ9ryEctmU5CNMmLUpgrade naar KadastraleKaart Pro

Bedekking (BGT)

7CIyTPtt BvedUpgrade naar KadastraleKaart Pro

Publiekrechtelijke beperkingen

0vMGsBUHvPFh4gkL a73Upgrade naar KadastraleKaart Pro

Grensnauwkeurigheid

hUoWfgKP 7ADFNWy5FsI Upgrade naar KadastraleKaart Pro

Coördinaten hoekpunten perceel

UvVCkG4jYf4ymE 6NjZzZUpgrade naar KadastraleKaart Pro

Hoogteligging

FhgDUH1GkuNB jrUpgrade naar KadastraleKaart Pro

Laatst gewijzigd

20/08/1997

Kadastrale kaart met maatvoering 59,95
Kadastrale kaart pakket 28,95

Percelen

Gebruik de zoekbalk of klik op een perceel om informatie over het perceel te bekijken.
Locatie
Meten
Lagen
Download