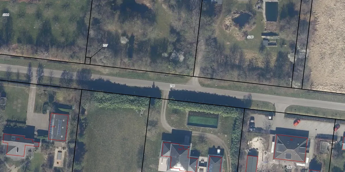
Perceel: LLS00-F-730

Adres bij perceel

Geen adressen bij dit perceel

Perceeloppervlakte & perceelomtrek

4.275 m2 - 600 m

Eigenaar van het perceel

Eigenaar opvragen

Kadastrale aanduiding

LLS00-F-730 (Lelystad)

Postcode in perceel

    Geen postcode aanwezig

Type eigenaar

nWtoLNR1yCGPBx7HXPUpgrade naar KadastraleKaart Pro

Google Street View

Bekijk op Street View

Download

Download DWG/DXF/Excel

Gerelateerde percelen

XxatBAZdyS5HFUpgrade naar KadastraleKaart Pro

Bebouwd/onbebouwd/water/groen

lHB43a BdsK d9WUpgrade naar KadastraleKaart Pro
Administratieve eenheden
TfwUV0MT70HUpgrade naar KadastraleKaart Pro

Appartementsrechten

t4Pt3quldF bs0zUpgrade naar KadastraleKaart Pro

Vergunningverlenende instanties

A4ugRjEdGdEzMHRi80YHUpgrade naar KadastraleKaart Pro

Bedekking (BGT)

L4fxyQulvbFUpgrade naar KadastraleKaart Pro

Publiekrechtelijke beperkingen

JDLgyt fvhBxyt2JLvggbw3Upgrade naar KadastraleKaart Pro

Grensnauwkeurigheid

xsiPoj99 uMUpgrade naar KadastraleKaart Pro

Coördinaten hoekpunten perceel

icNzAvNbtA2pw oVCbUpgrade naar KadastraleKaart Pro

Hoogteligging

IsZeyNjbqJBBVUpgrade naar KadastraleKaart Pro

Laatst gewijzigd

18/02/2021

Kadastrale kaart met maatvoering 59,95
Kadastrale kaart pakket 28,95

Percelen

Gebruik de zoekbalk of klik op een perceel om informatie over het perceel te bekijken.
Locatie
Meten
Lagen
Download