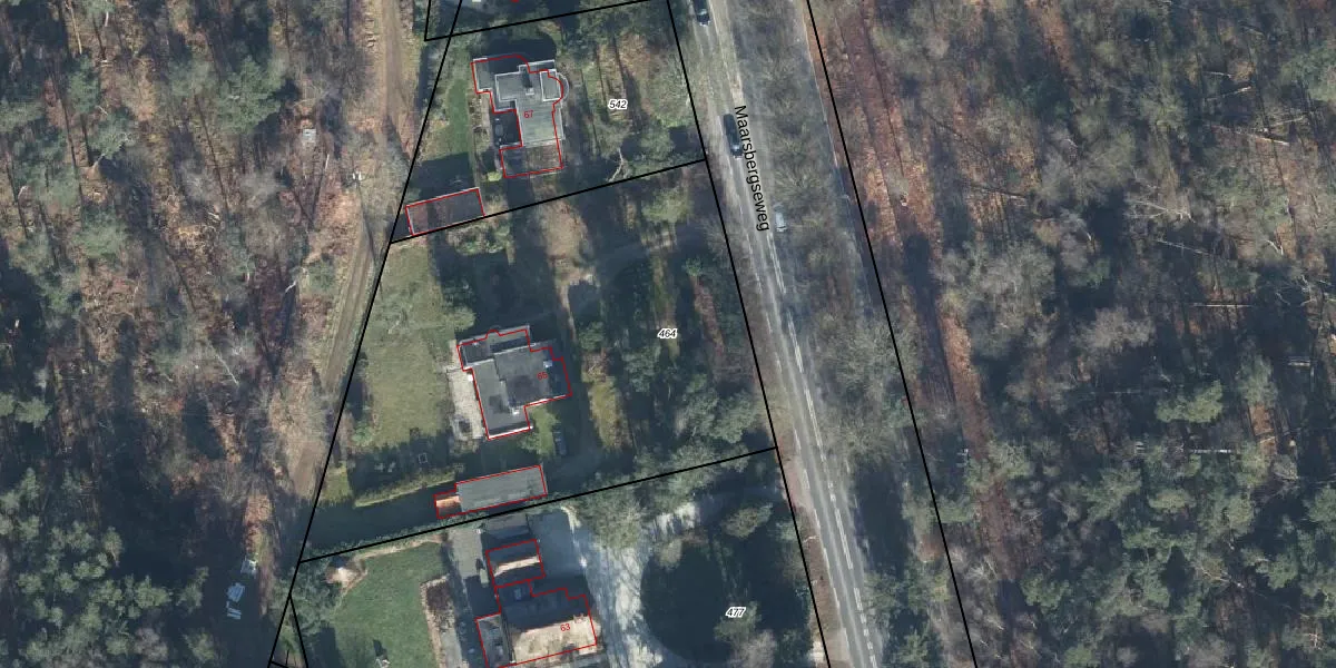
Perceel: LSM00-B-464
2.710 m2 - 217 m
Eigenaar opvragen
LSM00-B-464 (Leersum)
- 3956 KV
jf9 0GD2KLvdmLbiA9ht UbUUYnXkUpgrade naar KadastraleKaart Pro
Bekijk op Street View
Download DWG/DXF/Excel
W76Gb5R5KItJqI9OASUpgrade naar KadastraleKaart Pro
JmRiwUDIcFExbE mHNCUpgrade naar KadastraleKaart Pro
dA1I i4a i Fqv REAG pHUpgrade naar KadastraleKaart Pro
UTvGP nxkCxZUpgrade naar KadastraleKaart Pro
K sm4e845sjUpgrade naar KadastraleKaart Pro
zCOQ 1uKp1E3ou8gLl7Upgrade naar KadastraleKaart Pro
LjV2poYkovLrUpgrade naar KadastraleKaart Pro
8SPhVA6SwwUpgrade naar KadastraleKaart Pro
vEl IotoUpgrade naar KadastraleKaart Pro
UEDMMRG7b3FbAucE8GeSq8YUpgrade naar KadastraleKaart Pro
18/12/2009
Percelen
Gebruik de zoekbalk of klik op een perceel om informatie over het perceel te bekijken.








