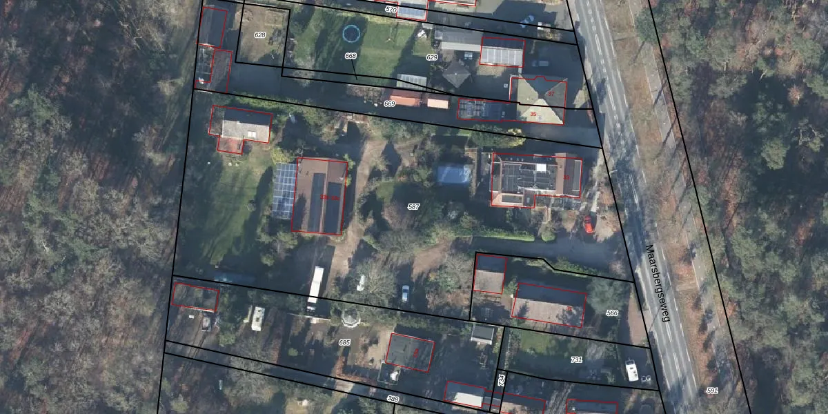
Perceel: LSM00-B-587

3 adressen bij perceel

Maarsbergseweg 33 t/m 33 c

Perceeloppervlakte & perceelomtrek

4.430 m2 - 307 m

Eigenaar van het perceel

Eigenaar opvragen

Kadastrale aanduiding

LSM00-B-587 (Leersum)

Postcode in perceel

    3956 KT

Type eigenaar

nZfKYRUM0Zj AnC m VRV9m9xhwl7Upgrade naar KadastraleKaart Pro

Woning verkocht in 2008

Verkoopprijs opvragen

Google Street View

Bekijk op Street View

Download

Download DWG/DXF/Excel

Gerelateerde percelen

6IUbYf0cc9xVUpgrade naar KadastraleKaart Pro

Bebouwd/onbebouwd/water/groen

Q86mImPw MV Zr IZZrUpgrade naar KadastraleKaart Pro
Administratieve eenheden
5GB vTQdwVDxqyp sGL LxUpgrade naar KadastraleKaart Pro

Appartementsrechten

vfQGs4dpMNXTyY97X29rOC3Upgrade naar KadastraleKaart Pro

Vergunningverlenende instanties

qg1I ZY GBUpgrade naar KadastraleKaart Pro

Bedekking (BGT)

EdDsIaJEi 8Upgrade naar KadastraleKaart Pro

Publiekrechtelijke beperkingen

PpCl AHGmkKMTBvOab28Upgrade naar KadastraleKaart Pro

Grensnauwkeurigheid

afgg7zyqf cUpgrade naar KadastraleKaart Pro

Coördinaten hoekpunten perceel

RSnZEYOot6SyFjTdGUpgrade naar KadastraleKaart Pro

Hoogteligging

vTiUn1jy9aw 5aWXdiaVdfnUpgrade naar KadastraleKaart Pro

Laatst gewijzigd

03/04/2002

Kadastrale kaart met maatvoering 59,95
Kadastrale kaart pakket 28,95

Percelen

Gebruik de zoekbalk of klik op een perceel om informatie over het perceel te bekijken.
Locatie
Meten
Lagen
Download