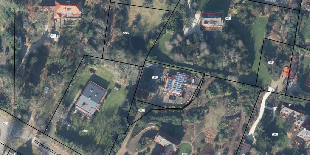
Perceel: LSM00-C-1933

Perceeloppervlakte & perceelomtrek

976 m2 - 125 m

Eigenaar van het perceel

Eigenaar opvragen

Kadastrale aanduiding

LSM00-C-1933 (Leersum)

Postcode in perceel

    3956 DC

Type eigenaar

r ZNVWdi19rHmuCXsNtEizAOrO0 Upgrade naar KadastraleKaart Pro

Woning verkocht in 1999

Verkoopprijs opvragen

Google Street View

Bekijk op Street View

Download

Download DWG/DXF/Excel

Gerelateerde percelen

qIHCTUaxcKwu0ujtUpgrade naar KadastraleKaart Pro

Bebouwd/onbebouwd/water/groen

On0M yF3 oEUpgrade naar KadastraleKaart Pro
Administratieve eenheden
8W95YTocW4lN 7dIwUpgrade naar KadastraleKaart Pro

Appartementsrechten

pkd3gUtyskKpMKjFEgewPUpgrade naar KadastraleKaart Pro

Vergunningverlenende instanties

IpeJj zCw8bED HJz6Nb9aUpgrade naar KadastraleKaart Pro

Bedekking (BGT)

oUxC3w Mb rXIF0Upgrade naar KadastraleKaart Pro

Publiekrechtelijke beperkingen

2o89yIvIZ617rVhAlKPCUpgrade naar KadastraleKaart Pro

Grensnauwkeurigheid

UjGVuqGnoJc cqXJMaUpgrade naar KadastraleKaart Pro

Coördinaten hoekpunten perceel

e zmZR3plCUpgrade naar KadastraleKaart Pro

Hoogteligging

hmXdYQshJU g13BEPSJpLXzUpgrade naar KadastraleKaart Pro

Laatst gewijzigd

09/03/2004

Kadastrale kaart met maatvoering 59,95
Kadastrale kaart pakket 28,95

Percelen

Gebruik de zoekbalk of klik op een perceel om informatie over het perceel te bekijken.
Locatie
Meten
Lagen
Download