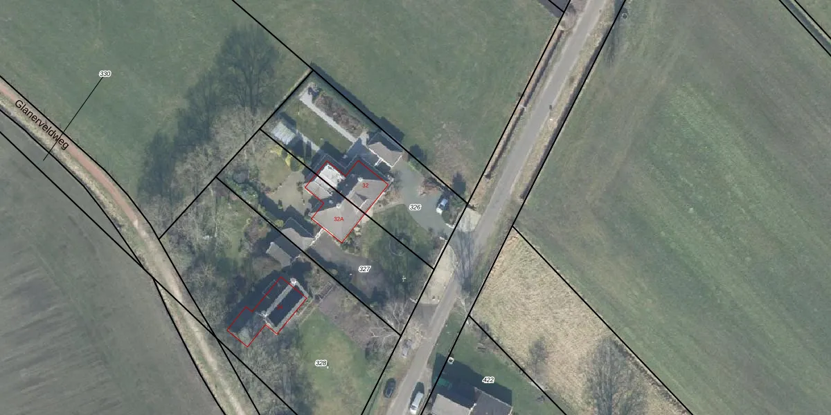
Perceel: LSR00-Q-326

Adres bij perceel

Perceeloppervlakte & perceelomtrek

890 m2 - 140 m

Eigenaar van het perceel

Eigenaar opvragen

Kadastrale aanduiding

LSR00-Q-326 (Losser)

Postcode in perceel

    7585 PP

Type eigenaar

woxtempYHPZ FB8jrXpZ25xstDy8 oUpgrade naar KadastraleKaart Pro

Woning verkocht in 2020

Verkoopprijs opvragen

Google Street View

Bekijk op Street View

Download

Download DWG/DXF/Excel

Gerelateerde percelen

XQtR9Kt7 Upgrade naar KadastraleKaart Pro

Bebouwd/onbebouwd/water/groen

plf96q j1sJlUpgrade naar KadastraleKaart Pro
Administratieve eenheden
NsXv GoN9Wo86e9G HfUpgrade naar KadastraleKaart Pro

Appartementsrechten

r cVu dYu sUpgrade naar KadastraleKaart Pro

Vergunningverlenende instanties

EbFlaFVNeLxrDgcD4BVE iXUpgrade naar KadastraleKaart Pro

Bedekking (BGT)

knVIbUS6RsOTuNa5rRjqUpgrade naar KadastraleKaart Pro

Publiekrechtelijke beperkingen

y2fIhgOo NmpO18lwkUpgrade naar KadastraleKaart Pro

Grensnauwkeurigheid

SkVYJ6OZkkUpgrade naar KadastraleKaart Pro

Coördinaten hoekpunten perceel

L6LzXKukgvCye6hF1glcntUpgrade naar KadastraleKaart Pro

Hoogteligging

L2nl7Mf2jb9JCoCuAODUpgrade naar KadastraleKaart Pro

Laatst gewijzigd

26/11/2014

Kadastrale kaart met maatvoering 59,95
Kadastrale kaart pakket 28,95

Percelen

Gebruik de zoekbalk of klik op een perceel om informatie over het perceel te bekijken.
Locatie
Meten
Lagen
Download