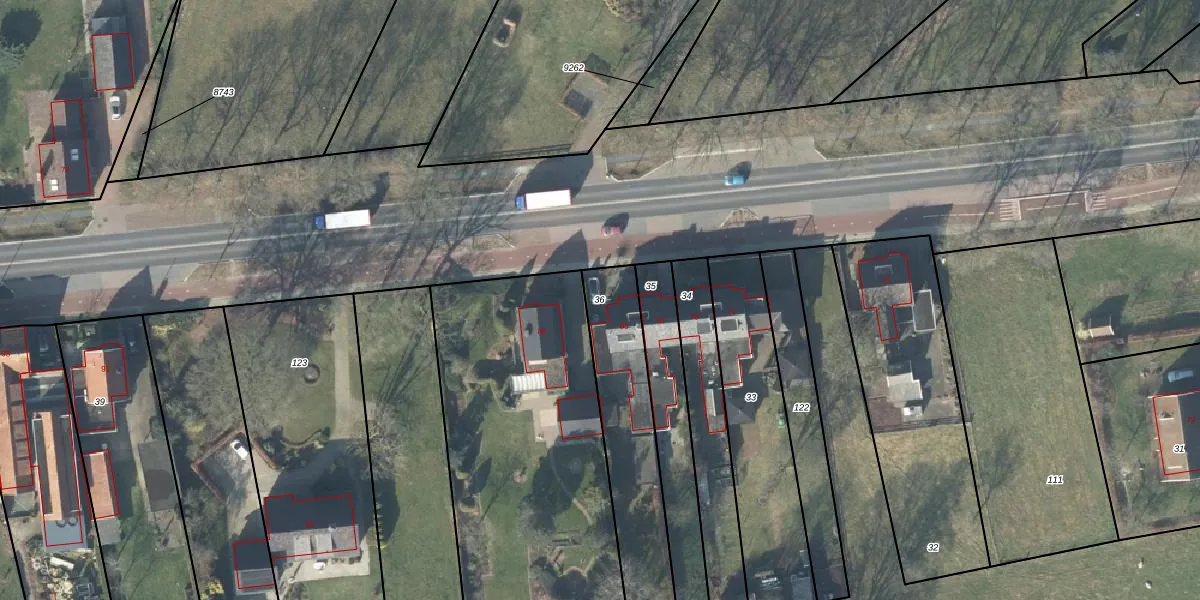
Perceel: LSR00-Q-36

Adres bij perceel

Perceeloppervlakte & perceelomtrek

571 m2 - 150 m

Eigenaar van het perceel

Eigenaar opvragen

Kadastrale aanduiding

LSR00-Q-36 (Losser)

Postcode in perceel

    7582 PM

Type eigenaar

2gpe 6DxGx0ohQ6 cG x4scRfUpgrade naar KadastraleKaart Pro

Woning verkocht in 2001

Verkoopprijs opvragen

Google Street View

Bekijk op Street View

Download

Download DWG/DXF/Excel

Gerelateerde percelen

cNZhygXY2HaL7MlyUpgrade naar KadastraleKaart Pro

Bebouwd/onbebouwd/water/groen

G4Th03vlhORzq0Lu4VKf Upgrade naar KadastraleKaart Pro
Administratieve eenheden
zosmcXZF 6hUpgrade naar KadastraleKaart Pro

Appartementsrechten

0fjSAdfxz9gGiKUpgrade naar KadastraleKaart Pro

Vergunningverlenende instanties

iPDmmcLmGjJVwPzOE37 nUpgrade naar KadastraleKaart Pro

Bedekking (BGT)

8 sp2 gdDX Upgrade naar KadastraleKaart Pro

Publiekrechtelijke beperkingen

Kk 2ayDp ren4DFUpgrade naar KadastraleKaart Pro

Grensnauwkeurigheid

Og5nkcBg3DfRqYQ N3 QgfUpgrade naar KadastraleKaart Pro

Coördinaten hoekpunten perceel

XllY5a9IgAUpgrade naar KadastraleKaart Pro

Hoogteligging

aufjDAa 0CA qXZKNyUpgrade naar KadastraleKaart Pro

Laatst gewijzigd

27/11/2014

Kadastrale kaart met maatvoering 59,95
Kadastrale kaart pakket 28,95

Percelen

Gebruik de zoekbalk of klik op een perceel om informatie over het perceel te bekijken.
Locatie
Meten
Lagen
Download