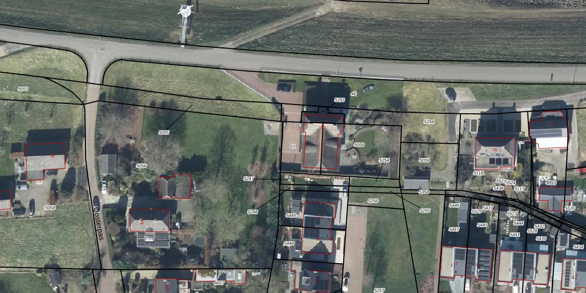
Perceel: LWN00-B-61

Adres bij perceel

Perceeloppervlakte & perceelomtrek

240 m2 - 63 m

Eigenaar van het perceel

Eigenaar opvragen

Kadastrale aanduiding

LWN00-B-61 (Leeuwen)

Postcode in perceel

    6658 KB

Type eigenaar

pDdRVOm2B93 C91mb IEbXxw 68BPUpgrade naar KadastraleKaart Pro

Google Street View

Bekijk op Street View

Download

Download DWG/DXF/Excel

Gerelateerde percelen

xjzvwnj0QzZQulzUpgrade naar KadastraleKaart Pro

Bebouwd/onbebouwd/water/groen

bYzyqA 1IVys D0Upgrade naar KadastraleKaart Pro
Administratieve eenheden
dkDrd S8w9uKh grQcp DUpgrade naar KadastraleKaart Pro

Appartementsrechten

5Pn7 T 7d r6pUpgrade naar KadastraleKaart Pro

Vergunningverlenende instanties

pwi v3 JTIKzk1OZ4fUpgrade naar KadastraleKaart Pro

Bedekking (BGT)

EoRra MGh UpNed7DFawUpgrade naar KadastraleKaart Pro

Publiekrechtelijke beperkingen

6nm WgRaifd51Upgrade naar KadastraleKaart Pro

Grensnauwkeurigheid

j6 ooe2 Upgrade naar KadastraleKaart Pro

Coördinaten hoekpunten perceel

V3ZHr6BT0Upgrade naar KadastraleKaart Pro

Hoogteligging

DLPFqkEhA 2pyUt6Upgrade naar KadastraleKaart Pro

Laatst gewijzigd

04/11/2014

Kadastrale kaart met maatvoering 59,95
Kadastrale kaart pakket 28,95

Percelen

Gebruik de zoekbalk of klik op een perceel om informatie over het perceel te bekijken.
Locatie
Meten
Lagen
Download