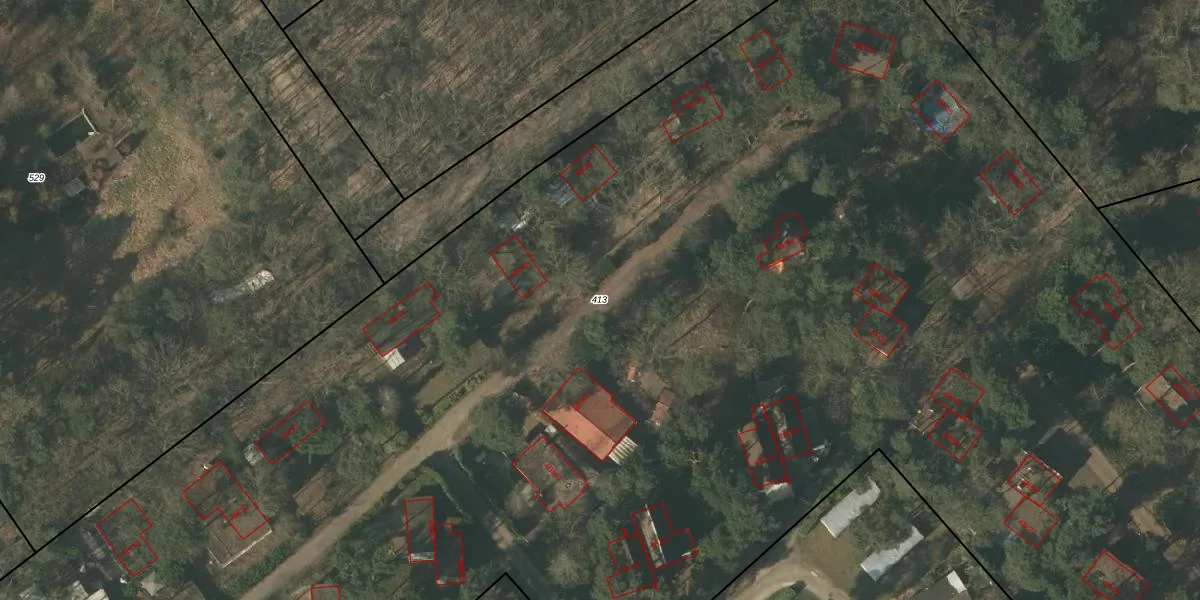
Perceel: MBE00-L-413

72 adressen bij perceel

Napoleonsbaan Noord 4 B-1 t/m 4 B-81

Perceeloppervlakte & perceelomtrek

32.698 m2 - 1.230 m

Eigenaar van het perceel

Eigenaar opvragen

Kadastrale aanduiding

MBE00-L-413 (Maasbree)

Postcode in perceel

    5991 NV

Type eigenaar

T adcT 0y z1WNatUQLlAgpWtUpgrade naar KadastraleKaart Pro

Google Street View

Bekijk op Street View

Download

Download DWG/DXF/Excel

Gerelateerde percelen

5N1G9 g 9IFl OUpgrade naar KadastraleKaart Pro

Bebouwd/onbebouwd/water/groen

Q020pocvSiVOHH oAVoWmdUpgrade naar KadastraleKaart Pro
Administratieve eenheden
1 sV0hFoZ6FJ LHLdUpgrade naar KadastraleKaart Pro

Appartementsrechten

C7ZNZtC7HSxc2y0Upgrade naar KadastraleKaart Pro

Vergunningverlenende instanties

b5EHQEXuhjM1Iw2LupS7 PXUpgrade naar KadastraleKaart Pro

Bedekking (BGT)

Guh58ezmUpgrade naar KadastraleKaart Pro

Publiekrechtelijke beperkingen

CzLShY81sQitHTJ7Upgrade naar KadastraleKaart Pro

Grensnauwkeurigheid

YttSyIJu7TQCQtqEwUpgrade naar KadastraleKaart Pro

Coördinaten hoekpunten perceel

kD0V6ipWeMgjj VOM Upgrade naar KadastraleKaart Pro

Hoogteligging

g69PQno pU9LWIk 4dUpgrade naar KadastraleKaart Pro

Laatst gewijzigd

04/03/2008

Kadastrale kaart met maatvoering 59,95
Kadastrale kaart pakket 28,95

Percelen

Gebruik de zoekbalk of klik op een perceel om informatie over het perceel te bekijken.
Locatie
Meten
Lagen
Download