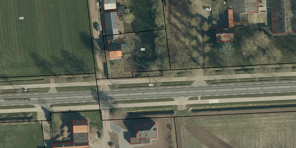
Perceel: MDB03-F-504

Adres bij perceel

Geen adressen bij dit perceel

Perceeloppervlakte & perceelomtrek

85 m2 - 48 m

Eigenaar van het perceel

Eigenaar opvragen

Kadastrale aanduiding

MDB03-F-504 (Oost-, West- en Middelbeers)

Postcode in perceel

    Geen postcode aanwezig

Type eigenaar

b6 DP9siQBcM1nklq7lUpgrade naar KadastraleKaart Pro

Google Street View

Bekijk op Street View

Download

Download DWG/DXF/Excel

Gerelateerde percelen

6eGaGcX7Upgrade naar KadastraleKaart Pro

Bebouwd/onbebouwd/water/groen

660Y7ucGtHWXMVW3qUpgrade naar KadastraleKaart Pro
Administratieve eenheden
3khqj8v5DUpgrade naar KadastraleKaart Pro

Appartementsrechten

kfFzVm1Mwx88YCeUpgrade naar KadastraleKaart Pro

Vergunningverlenende instanties

qi7MaTYxUG CgLKT2mzUpgrade naar KadastraleKaart Pro

Bedekking (BGT)

V yvArSL GjzphQb46Upgrade naar KadastraleKaart Pro

Publiekrechtelijke beperkingen

se3Wsa0jOZZ8TMxkiUpgrade naar KadastraleKaart Pro

Grensnauwkeurigheid

e84fcbX qVK2iR46 WLuM1hUpgrade naar KadastraleKaart Pro

Coördinaten hoekpunten perceel

UL 9H 77KN A nQFGA0lUpgrade naar KadastraleKaart Pro

Hoogteligging

wAfplMD3jUzi8H5FmkLoMyOUpgrade naar KadastraleKaart Pro

Laatst gewijzigd

29/12/2008

Kadastrale kaart met maatvoering 59,95
Kadastrale kaart pakket 28,95

Percelen

Gebruik de zoekbalk of klik op een perceel om informatie over het perceel te bekijken.
Locatie
Meten
Lagen
Download