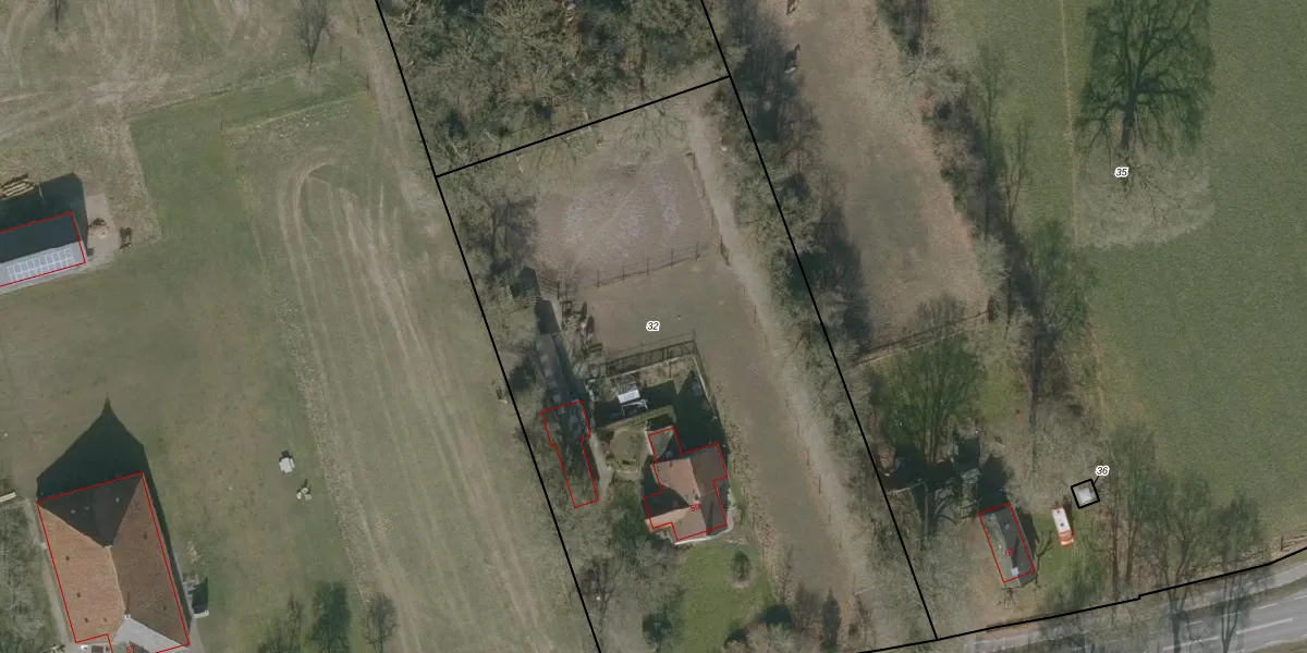
Perceel: MDM02-N-32

Adres bij perceel

Perceeloppervlakte & perceelomtrek

4.260 m2 - 274 m

Eigenaar van het perceel

Eigenaar opvragen

Kadastrale aanduiding

MDM02-N-32 (Mildam)

Postcode in perceel

    8451 KB

Type eigenaar

fR97hw p5 31IA4EYJ7KadIUpgrade naar KadastraleKaart Pro

Google Street View

Bekijk op Street View

Download

Download DWG/DXF/Excel

Gerelateerde percelen

fJyPOHvkb2T11PDUpgrade naar KadastraleKaart Pro

Bebouwd/onbebouwd/water/groen

Q6vEl10ViaePrlrrMStYSUpgrade naar KadastraleKaart Pro
Administratieve eenheden
e 90umKcnOQhUpgrade naar KadastraleKaart Pro

Appartementsrechten

9 7eBkyClAUS F5u5UUpgrade naar KadastraleKaart Pro

Vergunningverlenende instanties

bHlxnpVryEsrNvZg4CUpgrade naar KadastraleKaart Pro

Bedekking (BGT)

NwO bGKm0 4gOk gZRg5Upgrade naar KadastraleKaart Pro

Publiekrechtelijke beperkingen

E 4ybeJ4MGFCU iEzi9CLUpgrade naar KadastraleKaart Pro

Grensnauwkeurigheid

Pf6l0 sNBWUpgrade naar KadastraleKaart Pro

Coördinaten hoekpunten perceel

xvEQpEPt KGvT6eFBUpgrade naar KadastraleKaart Pro

Hoogteligging

UG3 T52MUpgrade naar KadastraleKaart Pro

Laatst gewijzigd

15/01/1998

Kadastrale kaart met maatvoering 59,95
Kadastrale kaart pakket 28,95

Percelen

Gebruik de zoekbalk of klik op een perceel om informatie over het perceel te bekijken.
Locatie
Meten
Lagen
Download