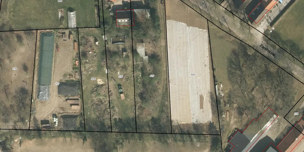
Perceel: MFT02-F-425

Adres bij perceel

Geen adressen bij dit perceel

Perceeloppervlakte & perceelomtrek

2.370 m2 - 260 m

Eigenaar van het perceel

Eigenaar opvragen

Kadastrale aanduiding

MFT02-F-425 (Montfort)

Postcode in perceel

    Geen postcode aanwezig

Type eigenaar

DKbOC MMKvFHXfEm KnSSUpgrade naar KadastraleKaart Pro

Google Street View

Bekijk op Street View

Download

Download DWG/DXF/Excel

Gerelateerde percelen

FnRZ9R3OpJhGp2Q6Upgrade naar KadastraleKaart Pro

Bebouwd/onbebouwd/water/groen

uahF4B3akmUpgrade naar KadastraleKaart Pro
Administratieve eenheden
D GeLl5vu CxNfiBQUpgrade naar KadastraleKaart Pro

Appartementsrechten

ezVgyx e Upgrade naar KadastraleKaart Pro

Vergunningverlenende instanties

1jzT lC0LUpgrade naar KadastraleKaart Pro

Bedekking (BGT)

4A SBSode2M o1A8PhUpgrade naar KadastraleKaart Pro

Publiekrechtelijke beperkingen

R7PE1h E7CtJSNZBQWlaUpgrade naar KadastraleKaart Pro

Grensnauwkeurigheid

w9aR5FWh4IwVWauUpgrade naar KadastraleKaart Pro

Coördinaten hoekpunten perceel

LTFNT7LmJdUpgrade naar KadastraleKaart Pro

Hoogteligging

rKB4urk8FFQUbIpUpgrade naar KadastraleKaart Pro

Laatst gewijzigd

23/04/2009

Kadastrale kaart met maatvoering 59,95
Kadastrale kaart pakket 28,95

Percelen

Gebruik de zoekbalk of klik op een perceel om informatie over het perceel te bekijken.
Locatie
Meten
Lagen
Download