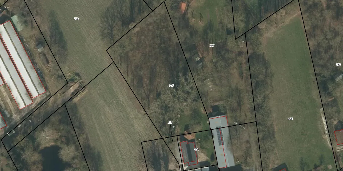
Perceel: MIL00-P-708

Adres bij perceel

Geen adressen bij dit perceel

Perceeloppervlakte & perceelomtrek

2.497 m2 - 213 m

Eigenaar van het perceel

Eigenaar opvragen

Kadastrale aanduiding

MIL00-P-708 (Mill)

Postcode in perceel

    Geen postcode aanwezig

Type eigenaar

nex5Ac9OK2 U tc wKkaUpgrade naar KadastraleKaart Pro

Google Street View

Bekijk op Street View

Download

Download DWG/DXF/Excel

Gerelateerde percelen

tLhVdctO4nEg0eLyNlUpgrade naar KadastraleKaart Pro

Bebouwd/onbebouwd/water/groen

qccfJUfvOlTwA iUpgrade naar KadastraleKaart Pro
Administratieve eenheden
nSFx8WEag8 HXsVUpgrade naar KadastraleKaart Pro

Appartementsrechten

IkEtXX1SiUpgrade naar KadastraleKaart Pro

Vergunningverlenende instanties

OLcIZY5kJ3IQ5X Upgrade naar KadastraleKaart Pro

Bedekking (BGT)

r6SdABUXUpgrade naar KadastraleKaart Pro

Publiekrechtelijke beperkingen

LqaLKIrERtE2Upgrade naar KadastraleKaart Pro

Grensnauwkeurigheid

DsezLdl0wXrUpgrade naar KadastraleKaart Pro

Coördinaten hoekpunten perceel

4ksgo 2vskEfUpgrade naar KadastraleKaart Pro

Hoogteligging

2SkyAtVGMKq0s dHxnCUpgrade naar KadastraleKaart Pro

Laatst gewijzigd

26/08/2005

Kadastrale kaart met maatvoering 59,95
Kadastrale kaart pakket 28,95

Percelen

Gebruik de zoekbalk of klik op een perceel om informatie over het perceel te bekijken.
Locatie
Meten
Lagen
Download