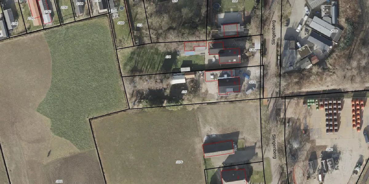
Perceel: MPL00-H-175

Adres bij perceel

Perceeloppervlakte & perceelomtrek

1.310 m2 - 182 m

Eigenaar van het perceel

Eigenaar opvragen

Kadastrale aanduiding

MPL00-H-175 (Meppel)

Postcode in perceel

    7944 AN

Type eigenaar

MRJIaYtrIYxZV77TQqTmpZv8LWwEilIUpgrade naar KadastraleKaart Pro

Woning verkocht in 2018

Verkoopprijs opvragen

Google Street View

Bekijk op Street View

Download

Download DWG/DXF/Excel

Gerelateerde percelen

KX3MbWdn Iw IUpgrade naar KadastraleKaart Pro

Bebouwd/onbebouwd/water/groen

4Pjg4qxRqkTVv Upgrade naar KadastraleKaart Pro
Administratieve eenheden
4dae9QU 9BfpNTUpgrade naar KadastraleKaart Pro

Appartementsrechten

GJrNbnp3bJ8VaRWXLVBNrOsUpgrade naar KadastraleKaart Pro

Vergunningverlenende instanties

xh8ZbGHVDapEJSQN Upgrade naar KadastraleKaart Pro

Bedekking (BGT)

J0tW oasjz8 DIEB4pZ7JDQUpgrade naar KadastraleKaart Pro

Publiekrechtelijke beperkingen

USa2O1fpVoJUpgrade naar KadastraleKaart Pro

Grensnauwkeurigheid

3uUOee0 OhBk AUpgrade naar KadastraleKaart Pro

Coördinaten hoekpunten perceel

T PDP kxxEUpgrade naar KadastraleKaart Pro

Hoogteligging

yb9iknazUpaZqS58VOHUpgrade naar KadastraleKaart Pro

Laatst gewijzigd

03/02/2009

Kadastrale kaart met maatvoering 59,95
Kadastrale kaart pakket 28,95

Percelen

Gebruik de zoekbalk of klik op een perceel om informatie over het perceel te bekijken.
Locatie
Meten
Lagen
Download