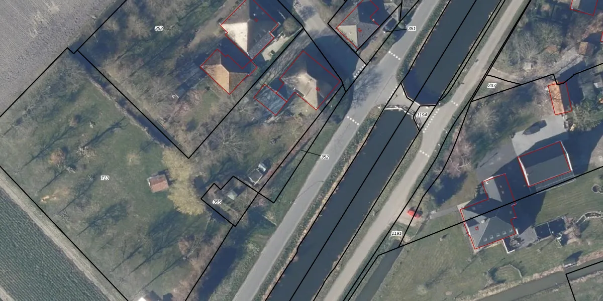
Perceel: NDP02-D-352

Adres bij perceel

Geen adressen bij dit perceel

Perceeloppervlakte & perceelomtrek

190 m2 - 98 m

Eigenaar van het perceel

Eigenaar opvragen

Kadastrale aanduiding

NDP02-D-352 (Niedorp)

Postcode in perceel

    Geen postcode aanwezig

Type eigenaar

c HghpucEg NJqV5L1KEFSyOLbUpgrade naar KadastraleKaart Pro

Google Street View

Bekijk op Street View

Download

Download DWG/DXF/Excel

Gerelateerde percelen

S T VUHMCH 4 lIbfui2TDUpgrade naar KadastraleKaart Pro

Bebouwd/onbebouwd/water/groen

5 ysuzRHaOUpgrade naar KadastraleKaart Pro
Administratieve eenheden
p xrzu ajMwQL0XDEV7FMUpgrade naar KadastraleKaart Pro

Appartementsrechten

y Z8ao z4yBevZep n9cUpgrade naar KadastraleKaart Pro

Vergunningverlenende instanties

wGM 2JrqOab31v Z vkvUpgrade naar KadastraleKaart Pro

Bedekking (BGT)

ltJnqvtoyVr3nqzuEsCINUpgrade naar KadastraleKaart Pro

Publiekrechtelijke beperkingen

JBH72UTriR Upgrade naar KadastraleKaart Pro

Grensnauwkeurigheid

H0icyoqY pDUD aUpgrade naar KadastraleKaart Pro

Coördinaten hoekpunten perceel

nggeXPOx1TSKND2VwtKyIUpgrade naar KadastraleKaart Pro

Hoogteligging

br ifnJSFtE7i9r7No3mhnYUpgrade naar KadastraleKaart Pro

Laatst gewijzigd

03/06/2009

Kadastrale kaart met maatvoering 59,95
Kadastrale kaart pakket 28,95

Percelen

Gebruik de zoekbalk of klik op een perceel om informatie over het perceel te bekijken.
Locatie
Meten
Lagen
Download