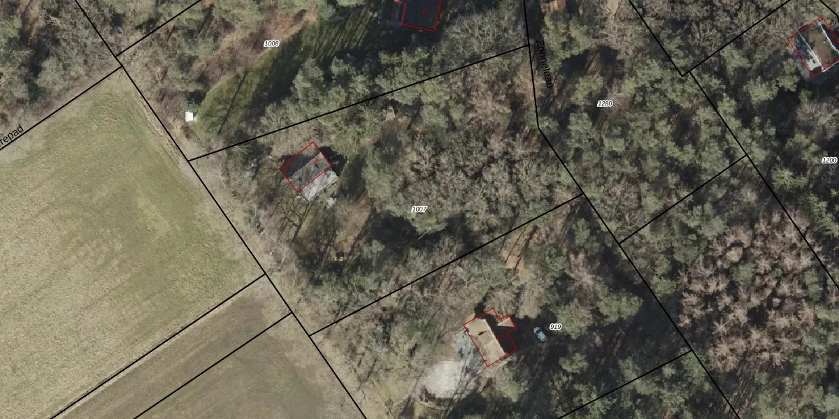
Perceel: NOR00-D-1007

Adres bij perceel

Perceeloppervlakte & perceelomtrek

3.365 m2 - 249 m

Eigenaar van het perceel

Eigenaar opvragen

Kadastrale aanduiding

NOR00-D-1007 (Norg)

Postcode in perceel

    9331 XS

Type eigenaar

s6 rweKsxWVdl uB4plrUpgrade naar KadastraleKaart Pro

Woning verkocht in 2022

Verkoopprijs opvragen

Google Street View

Bekijk op Street View

Download

Download DWG/DXF/Excel

Gerelateerde percelen

RLSVZfBXTUpgrade naar KadastraleKaart Pro

Bebouwd/onbebouwd/water/groen

lSnCqZ21 0K RUUpgrade naar KadastraleKaart Pro
Administratieve eenheden
ZC94ez3La4qS0aqXxqqhUpgrade naar KadastraleKaart Pro

Appartementsrechten

WTyY2WZqEZC PzMboBk8F0Upgrade naar KadastraleKaart Pro

Vergunningverlenende instanties

uPH Zvdp1ER1Rpt8X Upgrade naar KadastraleKaart Pro

Bedekking (BGT)

oQUGRJ4fzUpgrade naar KadastraleKaart Pro

Publiekrechtelijke beperkingen

PrQq7dWbGSUpgrade naar KadastraleKaart Pro

Grensnauwkeurigheid

umt 0hLfBSiCDz6PmOaUpgrade naar KadastraleKaart Pro

Coördinaten hoekpunten perceel

E6 gw0ut 8 HCvc Upgrade naar KadastraleKaart Pro

Hoogteligging

xdS5RSoQKTF e g i0Upgrade naar KadastraleKaart Pro

Laatst gewijzigd

08/12/2003

Kadastrale kaart met maatvoering 59,95
Kadastrale kaart pakket 28,95

Percelen

Gebruik de zoekbalk of klik op een perceel om informatie over het perceel te bekijken.
Locatie
Meten
Lagen
Download