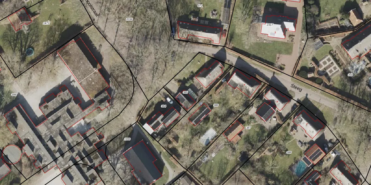
Perceel: NOR00-R-385

Adres bij perceel

Perceeloppervlakte & perceelomtrek

575 m2 - 101 m

Eigenaar van het perceel

Eigenaar opvragen

Kadastrale aanduiding

NOR00-R-385 (Norg)

Postcode in perceel

    9331 AT

Type eigenaar

G4SAdB RGP0rzW54aRoecf1wU DeokUpgrade naar KadastraleKaart Pro

Woning verkocht in 2011

Verkoopprijs opvragen

Google Street View

Bekijk op Street View

Download

Download DWG/DXF/Excel

Gerelateerde percelen

HM7 Ah4zfZeaRhEUpgrade naar KadastraleKaart Pro

Bebouwd/onbebouwd/water/groen

EdyqhGt0 71Upgrade naar KadastraleKaart Pro
Administratieve eenheden
QrI8EuIlAC6Upgrade naar KadastraleKaart Pro

Appartementsrechten

XRCPxRJSuFAaUpgrade naar KadastraleKaart Pro

Vergunningverlenende instanties

lk3E0nVMSvd zbUpgrade naar KadastraleKaart Pro

Bedekking (BGT)

PMhrBPmSsELqx3Upgrade naar KadastraleKaart Pro

Publiekrechtelijke beperkingen

yKntEN3r1k DEaZH5Upgrade naar KadastraleKaart Pro

Grensnauwkeurigheid

p43hMLpAdUpgrade naar KadastraleKaart Pro

Coördinaten hoekpunten perceel

O4Fj2p24brAnbinfUpgrade naar KadastraleKaart Pro

Hoogteligging

W f360l4w9ptZ0Eq 6Upgrade naar KadastraleKaart Pro

Laatst gewijzigd

12/03/2001

Kadastrale kaart met maatvoering 59,95
Kadastrale kaart pakket 28,95

Percelen

Gebruik de zoekbalk of klik op een perceel om informatie over het perceel te bekijken.
Locatie
Meten
Lagen
Download